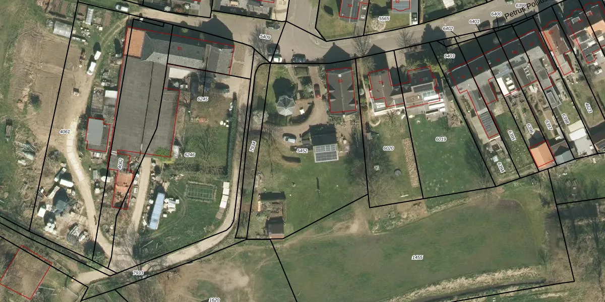
Perceel: RMD00-C-5452
KadastraleKaart.com kan meer dan je denktOntdek meer ›
Filter op bestemming 50+ datasets Eigendomsdata in één klik Percelen CRM
1.835 m2 - 176 m
Eigenaar opvragen
RMD00-C-5452 (Roermond)
- 6045 BW
cQ a Rck1WW MUeV a7XSUpgrade naar KadastraleKaart Pro
Bekijk op Street View
Download DWG/DXF/Excel
QxtkelcCaUpgrade naar KadastraleKaart Pro
B3P0uY2AsGUpgrade naar KadastraleKaart Pro
wK v7nag27BMsv Upgrade naar KadastraleKaart Pro
JYFgXWd262UwVmUUpgrade naar KadastraleKaart Pro
Xd9f Wj H FndWUpgrade naar KadastraleKaart Pro
lSeyxsn k0aZL5sM RUpgrade naar KadastraleKaart Pro
DA3DIGdN9e20EAUpgrade naar KadastraleKaart Pro
MQxGoGzYN Upgrade naar KadastraleKaart Pro
fo h1Osn4e Upgrade naar KadastraleKaart Pro
dFd AGffj 4uMaUpgrade naar KadastraleKaart Pro
15/05/2024

Percelen
Gebruik de zoekbalk of klik op een perceel om informatie over het perceel te bekijken.