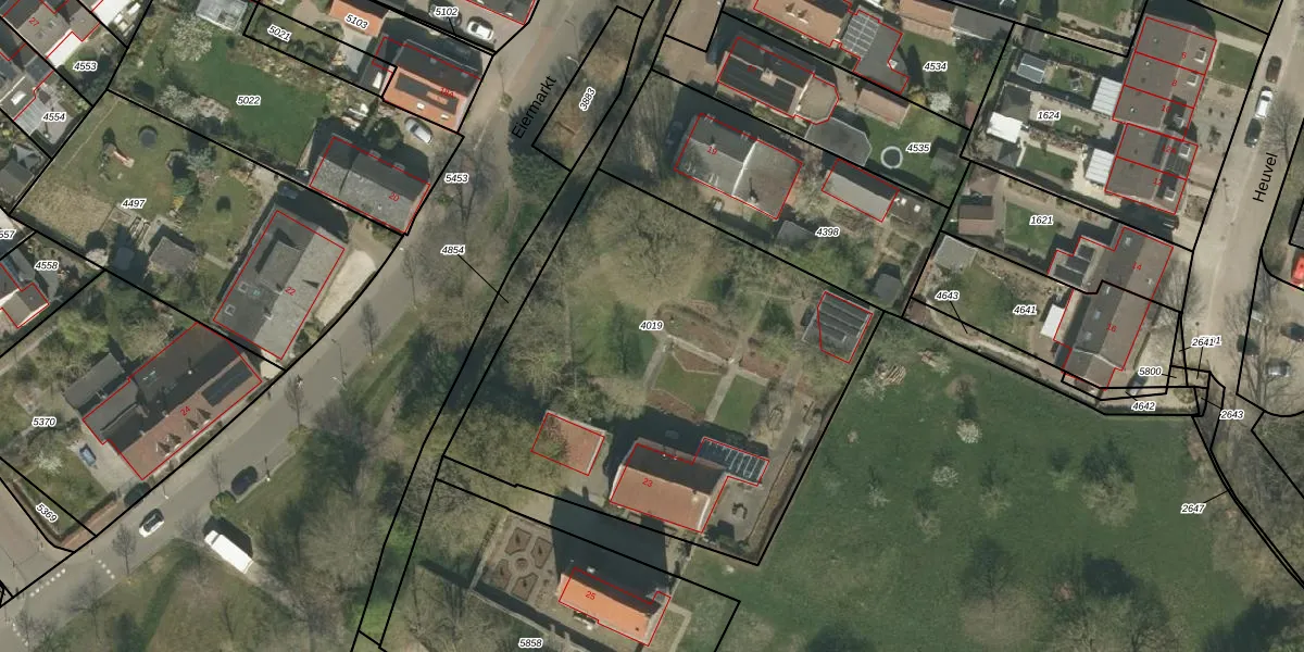
Perceel: RMD00-F-4019
KadastraleKaart.com kan meer dan je denktOntdek meer ›
Filter op bestemming 50+ datasets Eigendomsdata in één klik Percelen CRM
2.360 m2 - 194 m
Eigenaar opvragen
RMD00-F-4019 (Roermond)
- 6042 HV
oteeC6OxSPM67kATlSfH9Upgrade naar KadastraleKaart Pro
Bekijk op Street View
Download DWG/DXF/Excel
4KFxYYom0X9R268Z1K2nUpgrade naar KadastraleKaart Pro
uKk0w6ukFbblzm ZTHUpgrade naar KadastraleKaart Pro
q0fAOK2ZUUpgrade naar KadastraleKaart Pro
dak igV8swsZQ DehpzOUUEUpgrade naar KadastraleKaart Pro
NaUDA0IGFp mqAC7IlUpgrade naar KadastraleKaart Pro
l0 Dvbc6XUpgrade naar KadastraleKaart Pro
LP Fvc9ls QUYriK02OLE uUpgrade naar KadastraleKaart Pro
X wINEIBNWvqedF4iE9HUpgrade naar KadastraleKaart Pro
E8Uoc x9fkTqsUDqUpgrade naar KadastraleKaart Pro
ndpPaA1EkrW89kzAEY BsRUpgrade naar KadastraleKaart Pro
08/05/2009

Percelen
Gebruik de zoekbalk of klik op een perceel om informatie over het perceel te bekijken.