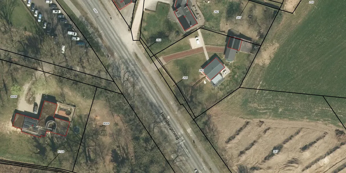
Perceel: RMD00-M-264
KadastraleKaart.com kan meer dan je denktOntdek meer ›
Filter op bestemming 50+ datasets Eigendomsdata in één klik Percelen CRM
Geen adressen bij dit perceel
137 m2 - 92 m
Eigenaar opvragen
RMD00-M-264 (Roermond)
- Geen postcode aanwezig
qC9BZ hrusbbeUy8nbt5UZrKeUpgrade naar KadastraleKaart Pro
Bekijk op Street View
Download DWG/DXF/Excel
K0S ywwSGB37 2e fHi8 kEUpgrade naar KadastraleKaart Pro
yR 4kDZ6bvfcvpLOd1Upgrade naar KadastraleKaart Pro
YJ3 40oR9tFUpgrade naar KadastraleKaart Pro
E7p NAhO7AxIR4LWepYUpgrade naar KadastraleKaart Pro
p8FETO HG tvIXUpgrade naar KadastraleKaart Pro
vw0GSEZ7Upgrade naar KadastraleKaart Pro
q5kfFlkDjJV9Upgrade naar KadastraleKaart Pro
ZOG jGpSST7Upgrade naar KadastraleKaart Pro
a FZ6G1K z9DzybUpgrade naar KadastraleKaart Pro
HOJ 8kDIrGG1Upgrade naar KadastraleKaart Pro
15/11/2024

Percelen
Gebruik de zoekbalk of klik op een perceel om informatie over het perceel te bekijken.