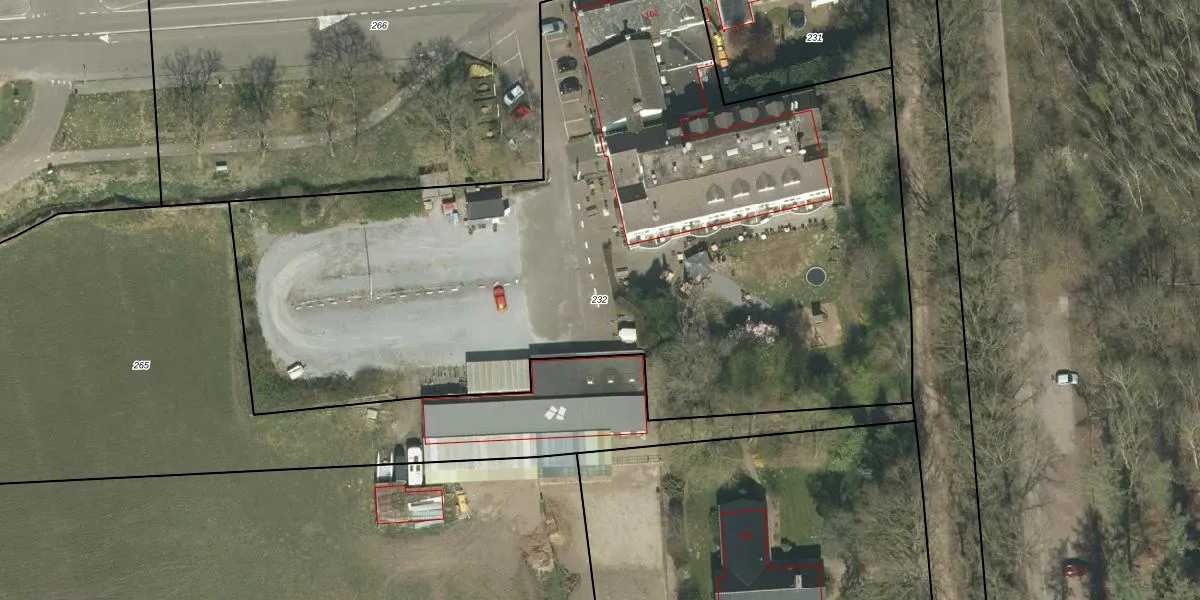
Perceel: RMD00-P-232
KadastraleKaart.com kan meer dan je denktOntdek meer ›
Filter op bestemming 50+ datasets Eigendomsdata in één klik Percelen CRM
5.371 m2 - 380 m
Eigenaar opvragen
RMD00-P-232 (Roermond)
- 6042 KN
zuHYW9MuT 2E P n1 Upgrade naar KadastraleKaart Pro
Bekijk op Street View
Download DWG/DXF/Excel
desEx7lz7vGcUpgrade naar KadastraleKaart Pro
obAFpo6v5Upgrade naar KadastraleKaart Pro
QziaFRs8SGJ9KiKyU92erUpgrade naar KadastraleKaart Pro
iLw6H pF VBSeSq0MmXKUpgrade naar KadastraleKaart Pro
5UNCEGMZEKre6Upgrade naar KadastraleKaart Pro
OZbhg vFR9Kfhplkb FTUpgrade naar KadastraleKaart Pro
9WNJh ZdByUpgrade naar KadastraleKaart Pro
ozBo w9PaqYvnDZeVfvmhUpgrade naar KadastraleKaart Pro
Qcy5W2OUuZPFq fU1Upgrade naar KadastraleKaart Pro
w vH57QRfDkTaovAyJ4PUpgrade naar KadastraleKaart Pro
02/04/2009

Percelen
Gebruik de zoekbalk of klik op een perceel om informatie over het perceel te bekijken.