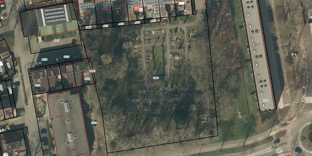
Perceel: RML00-E-5985
KadastraleKaart.com kan meer dan je denktOntdek meer ›
Filter op bestemming 50+ datasets Eigendomsdata in één klik Percelen CRM
Geen adressen bij dit perceel
6.209 m2 - 387 m
Eigenaar opvragen
RML00-E-5985 (Rosmalen)
- Geen postcode aanwezig
oGpvXIE8WT nlW 2KlrKRUpgrade naar KadastraleKaart Pro
Bekijk op Street View
Download DWG/DXF/Excel
HMo2ajCuEjUpgrade naar KadastraleKaart Pro
DRW7Psu TbzUpgrade naar KadastraleKaart Pro
cuJe1r xqUpgrade naar KadastraleKaart Pro
SxY 6JOpi4tEb7knUpgrade naar KadastraleKaart Pro
4PBZYuuxw WrFPyk7xiqhXnUpgrade naar KadastraleKaart Pro
rNOrU9 Z Ybdh vIcyAUpgrade naar KadastraleKaart Pro
rHEyEj tjUpgrade naar KadastraleKaart Pro
uIRy8Ww sp IwDhMFMnUpgrade naar KadastraleKaart Pro
FjkV1e zJym jBQv9PL T6LUpgrade naar KadastraleKaart Pro
T TEb5ie 8PpOjT8dnjUpgrade naar KadastraleKaart Pro
02/08/2019

Percelen
Gebruik de zoekbalk of klik op een perceel om informatie over het perceel te bekijken.