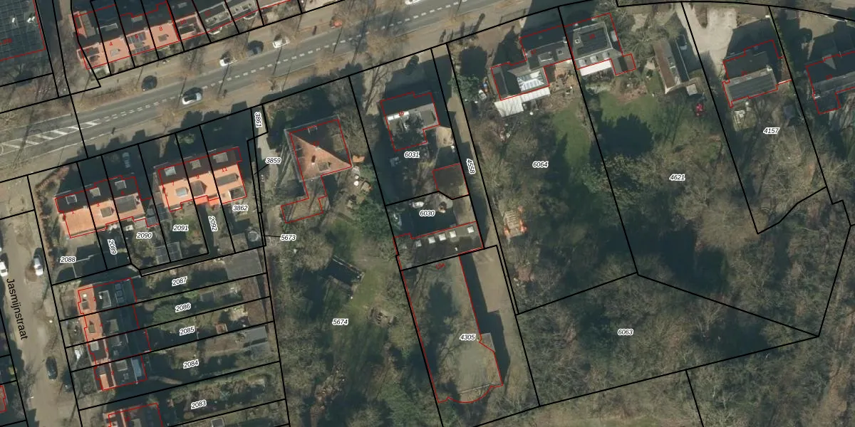
Perceel: RML00-E-6030
KadastraleKaart.com kan meer dan je denktOntdek meer ›
Filter op bestemming 50+ datasets Eigendomsdata in één klik Percelen CRM
Geen adressen bij dit perceel
296 m2 - 71 m
Eigenaar opvragen
RML00-E-6030 (Rosmalen)
- Geen postcode aanwezig
gZmMr bxSZnoD6 RPUpgrade naar KadastraleKaart Pro
Bekijk op Street View
Download DWG/DXF/Excel
euTYuNLy hE0ypEUpgrade naar KadastraleKaart Pro
dnsdNvz BUATrSUpgrade naar KadastraleKaart Pro
9mDvvcUCCwDpmhMI1vPUpgrade naar KadastraleKaart Pro
NFWKp Hgv9Upgrade naar KadastraleKaart Pro
Unh g6YfnUVt5QEZIemadrFUpgrade naar KadastraleKaart Pro
k2rJAZM5rUpgrade naar KadastraleKaart Pro
89PSnUkW6e YbAMIUpgrade naar KadastraleKaart Pro
19P5V JqO9Upgrade naar KadastraleKaart Pro
puRrCn 3FC7rlw5pGPUpgrade naar KadastraleKaart Pro
eKWZiLG4Z Upgrade naar KadastraleKaart Pro
08/02/2021

Percelen
Gebruik de zoekbalk of klik op een perceel om informatie over het perceel te bekijken.