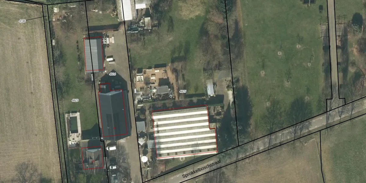
Perceel: RML00-F-4825
KadastraleKaart.com kan meer dan je denktOntdek meer ›
Filter op bestemming 50+ datasets Eigendomsdata in één klik Percelen CRM
Geen adressen bij dit perceel
5.440 m2 - 303 m
Eigenaar opvragen
RML00-F-4825 (Rosmalen)
- Geen postcode aanwezig
oC2YEZKpUwHNgbBAKsKh FyTUjsAsUpgrade naar KadastraleKaart Pro
Bekijk op Street View
Download DWG/DXF/Excel
MB6NsS o R5tP1Upgrade naar KadastraleKaart Pro
AT04NVIqghEuktUpgrade naar KadastraleKaart Pro
SzZ8gnnIeRyvZ2d4Upgrade naar KadastraleKaart Pro
CtOuQ1PF00JrPUpgrade naar KadastraleKaart Pro
QXr RJmNVmn esLfYJpql2jUpgrade naar KadastraleKaart Pro
q9yKpsMuhxSUpgrade naar KadastraleKaart Pro
GgiiFJVe9ZZEyyQum0EUpgrade naar KadastraleKaart Pro
HZWObixENRSlhLDDXgKUpgrade naar KadastraleKaart Pro
tnpusyJgG2 BvtainUpgrade naar KadastraleKaart Pro
XXAo0aBZDuYgkgLIIqPuP Upgrade naar KadastraleKaart Pro
07/01/2008

Percelen
Gebruik de zoekbalk of klik op een perceel om informatie over het perceel te bekijken.