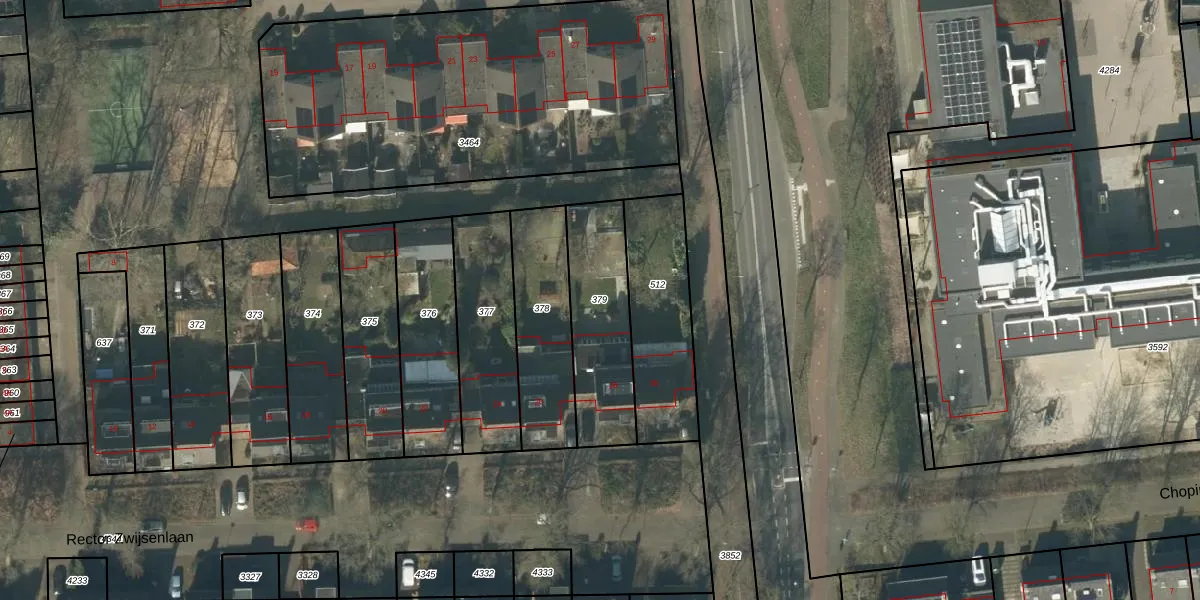
Perceel: RML00-G-379
KadastraleKaart.com kan meer dan je denktOntdek meer ›
Filter op bestemming 50+ datasets Eigendomsdata in één klik Percelen CRM
392 m2 - 101 m
Eigenaar opvragen
RML00-G-379 (Rosmalen)
- 5242 AL
kX0ReSi glTMriU8lCUpgrade naar KadastraleKaart Pro
Verkoopprijs opvragen
Bekijk op Street View
Download DWG/DXF/Excel
jUir fZ2OudTghr Hoa31W3Upgrade naar KadastraleKaart Pro
yEvqfWvAeMWD9xqUpgrade naar KadastraleKaart Pro
nH0Jqdt5sYjAM9fHxzbfyUpgrade naar KadastraleKaart Pro
5p HsPPf Xv0 Upgrade naar KadastraleKaart Pro
QDzu9WrhyuUpgrade naar KadastraleKaart Pro
D XXKhNTSRw EoUpgrade naar KadastraleKaart Pro
hS3aq4JlhLoA70z6iHKTnBnUpgrade naar KadastraleKaart Pro
K lx3PLoEZUpgrade naar KadastraleKaart Pro
faAiB8bMV0xUpgrade naar KadastraleKaart Pro
4csY14faUpgrade naar KadastraleKaart Pro
19/07/2005

Percelen
Gebruik de zoekbalk of klik op een perceel om informatie over het perceel te bekijken.