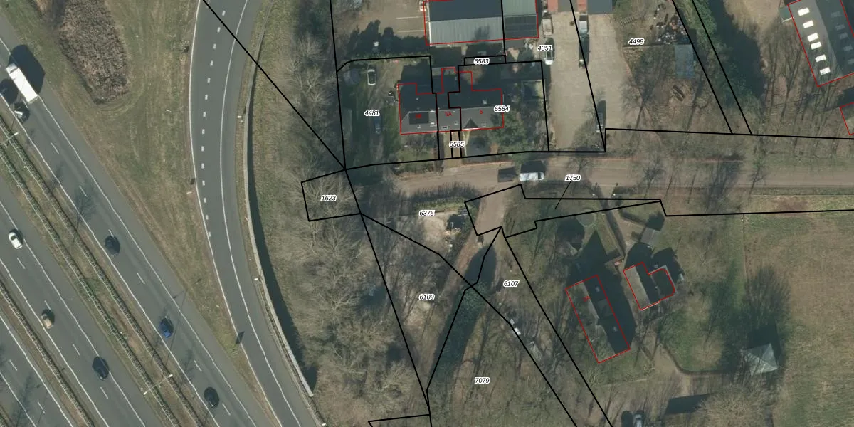
Perceel: RML00-H-6375
Geen adressen bij dit perceel
4.506 m2 - 675 m
Eigenaar opvragen
RML00-H-6375 (Rosmalen)
- Geen postcode aanwezig
TfcDQ7kZbgEqSy 6S36 d g8sUpgrade naar KadastraleKaart Pro
Bekijk op Street View
Download DWG/DXF/Excel
DgnIakwJ2 gz88slFpjjl15Upgrade naar KadastraleKaart Pro
N6hD66q2Upgrade naar KadastraleKaart Pro
0d zIu6iUpgrade naar KadastraleKaart Pro
HZcG8JuwScQ sWNsKKqUUpgrade naar KadastraleKaart Pro
4 q VqcpZb7Upgrade naar KadastraleKaart Pro
8hUWD325mvUOIo5XXIUpgrade naar KadastraleKaart Pro
Ha fnU7ADxgU29Upgrade naar KadastraleKaart Pro
RtnYc4lfzQEUpgrade naar KadastraleKaart Pro
J6x6wK SiFUpgrade naar KadastraleKaart Pro
CwAzMWhMbT5AJD6Upgrade naar KadastraleKaart Pro
07/05/2019

Percelen
Gebruik de zoekbalk of klik op een perceel om informatie over het perceel te bekijken.