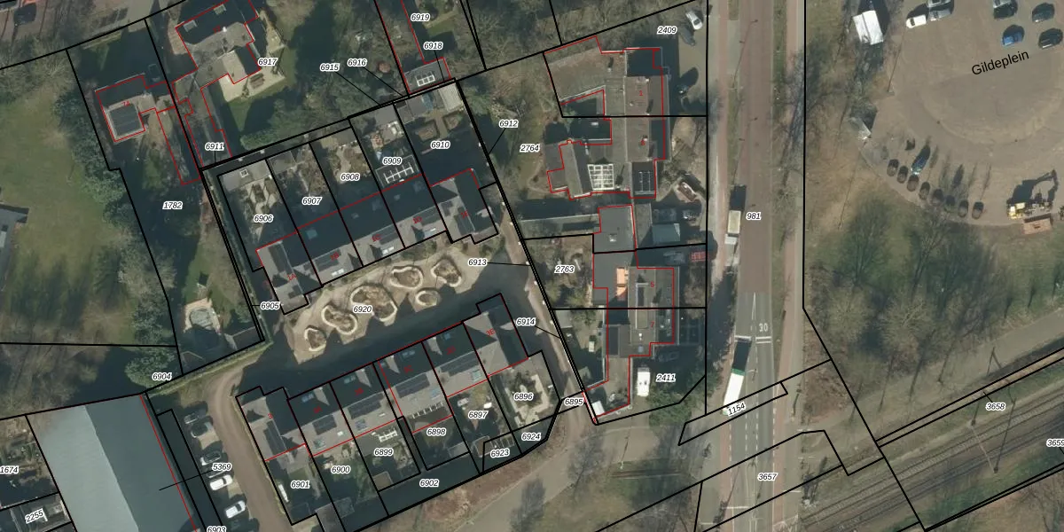
Perceel: RML00-H-6913
Geen adressen bij dit perceel
6 m2 - 29 m
Eigenaar opvragen
RML00-H-6913 (Rosmalen)
- Geen postcode aanwezig
xsGQ53RUv p4reGfFkUpgrade naar KadastraleKaart Pro
Bekijk op Street View
Download DWG/DXF/Excel
Jc3zMSE3aXM1P7BcSlU0CUpgrade naar KadastraleKaart Pro
hCdgjVSlX1rjqjCHUpgrade naar KadastraleKaart Pro
OzGU12JuUpgrade naar KadastraleKaart Pro
6GX3Stk4Upgrade naar KadastraleKaart Pro
sW zr8i9re9XUpgrade naar KadastraleKaart Pro
HUfXMmuIy6fUpgrade naar KadastraleKaart Pro
1s1QAHvWu 6Upgrade naar KadastraleKaart Pro
Bjm rRp 2LRUpgrade naar KadastraleKaart Pro
eL6m5eIRN7TODeTxeUpgrade naar KadastraleKaart Pro
vK0C9wvc3UFUpgrade naar KadastraleKaart Pro
24/11/2021

Percelen
Gebruik de zoekbalk of klik op een perceel om informatie over het perceel te bekijken.