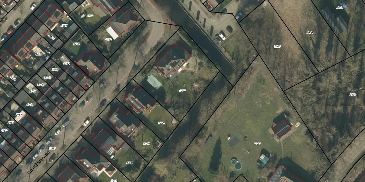
Perceel: RML00-I-1767
KadastraleKaart.com kan meer dan je denktOntdek meer ›
Filter op bestemming 50+ datasets Eigendomsdata in één klik Percelen CRM
1.255 m2 - 142 m
Eigenaar opvragen
RML00-I-1767 (Rosmalen)
- 5247 WB
xYGCKIZJRtUwPiOE dCaqIUpgrade naar KadastraleKaart Pro
Verkoopprijs opvragen
Bekijk op Street View
Download DWG/DXF/Excel
X s9fOtjHngVm Upgrade naar KadastraleKaart Pro
mvu M3V Upgrade naar KadastraleKaart Pro
bhxme 3jjkvBGboz10zmnUpgrade naar KadastraleKaart Pro
XVcLY9stYQPPhU6Upgrade naar KadastraleKaart Pro
Jd8Q 1FqjUpgrade naar KadastraleKaart Pro
Gy9C DfaeaCS 7A Upgrade naar KadastraleKaart Pro
r7LV9iwd v3vYUpgrade naar KadastraleKaart Pro
8o 3WPPwIKUpgrade naar KadastraleKaart Pro
3XW 2IfSSUeP9Upgrade naar KadastraleKaart Pro
0Bp zH1i1BpTnT1EIWUpgrade naar KadastraleKaart Pro
21/07/2003

Percelen
Gebruik de zoekbalk of klik op een perceel om informatie over het perceel te bekijken.