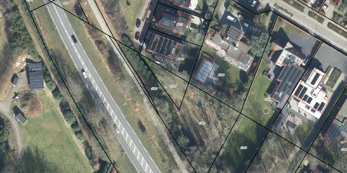
Perceel: RNN01-A-1353
KadastraleKaart.com kan meer dan je denktOntdek meer ›
Filter op bestemming 50+ datasets Eigendomsdata in één klik Percelen CRM
Geen adressen bij dit perceel
295 m2 - 90 m
Eigenaar opvragen
RNN01-A-1353 (Rhenen)
- Geen postcode aanwezig
1jekxNyvSfJ IkdirZXwyN6IzeqVUpgrade naar KadastraleKaart Pro
Bekijk op Street View
Download DWG/DXF/Excel
2i7FHPYttnBAT u3MfTJWEcUpgrade naar KadastraleKaart Pro
tn6x4PefUpgrade naar KadastraleKaart Pro
ViY gNKuuxionGQ8noDXymUUpgrade naar KadastraleKaart Pro
VfwKutPbKMVUpgrade naar KadastraleKaart Pro
qYOeVKO Td84C5AOUpgrade naar KadastraleKaart Pro
HkIsMhNVxJhyLQgypUpgrade naar KadastraleKaart Pro
jjMySAncy5nOupUpgrade naar KadastraleKaart Pro
14BuZhxGHDStfj yUpgrade naar KadastraleKaart Pro
lpTSpmAMfsg m47xnjqbUpgrade naar KadastraleKaart Pro
whQ J0J7LzHkDfk1oqYAh3Upgrade naar KadastraleKaart Pro
18/12/2013

Percelen
Gebruik de zoekbalk of klik op een perceel om informatie over het perceel te bekijken.