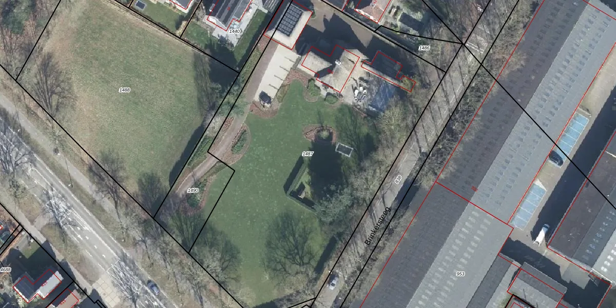
Perceel: RNN01-A-1487
KadastraleKaart.com kan meer dan je denktOntdek meer ›
Filter op bestemming 50+ datasets Eigendomsdata in één klik Percelen CRM
4.397 m2 - 294 m
Eigenaar opvragen
RNN01-A-1487 (Rhenen)
- 3911 RV
6 S6XgmNxMVqjVk2bh GYYUpgrade naar KadastraleKaart Pro
Bekijk op Street View
Download DWG/DXF/Excel
7psewtKnEDUpgrade naar KadastraleKaart Pro
SPvJFnyZJJUpgrade naar KadastraleKaart Pro
epFZAgaItk0mnmApzBVUpgrade naar KadastraleKaart Pro
2lHfwUH lJg6U0wJXSGQDUpgrade naar KadastraleKaart Pro
xv0m KuUhm iItweWYuTUpgrade naar KadastraleKaart Pro
VEw8ukJVi19ESm2 2h19YUpgrade naar KadastraleKaart Pro
O4h XOUpgrade naar KadastraleKaart Pro
Yhel1aCQw51h1SARwtoobPqUpgrade naar KadastraleKaart Pro
xCcjYvOHwgybeUpgrade naar KadastraleKaart Pro
u2 ngxID UI9J8MAVy3AdUpgrade naar KadastraleKaart Pro
27/09/2022

Percelen
Gebruik de zoekbalk of klik op een perceel om informatie over het perceel te bekijken.