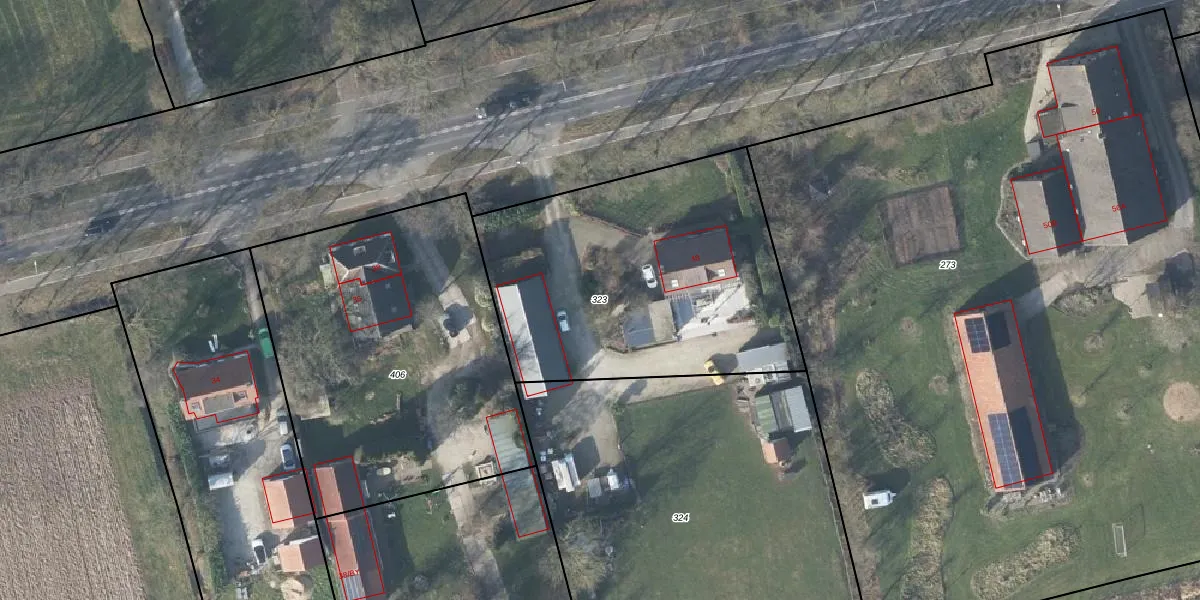
Perceel: RNN01-D-323
KadastraleKaart.com kan meer dan je denktOntdek meer ›
Filter op bestemming 50+ datasets Eigendomsdata in één klik Percelen CRM
1.550 m2 - 163 m
Eigenaar opvragen
RNN01-D-323 (Rhenen)
- 3911 VK
qvm9Vv5JOAm6EyAIGtlW MFtbZFyNYUpgrade naar KadastraleKaart Pro
Verkoopprijs opvragen
Bekijk op Street View
Download DWG/DXF/Excel
SkOiVWXjwOYj rd7p5BfWrNUpgrade naar KadastraleKaart Pro
l BxsRVo5lZUpgrade naar KadastraleKaart Pro
UIbvElfoBfaGZMzRWb0Upgrade naar KadastraleKaart Pro
kP2FqSnZBwQyR7h1mlSDUpgrade naar KadastraleKaart Pro
exH29Fm999YUpgrade naar KadastraleKaart Pro
LbUTZPHUpgrade naar KadastraleKaart Pro
WEp8pl zL9G7aYquN2NUpgrade naar KadastraleKaart Pro
0QRWG861eTLYFUpgrade naar KadastraleKaart Pro
z 5spFrwkW728Upgrade naar KadastraleKaart Pro
pRbm4pmZcn5MZTUpgrade naar KadastraleKaart Pro
14/01/2002

Percelen
Gebruik de zoekbalk of klik op een perceel om informatie over het perceel te bekijken.