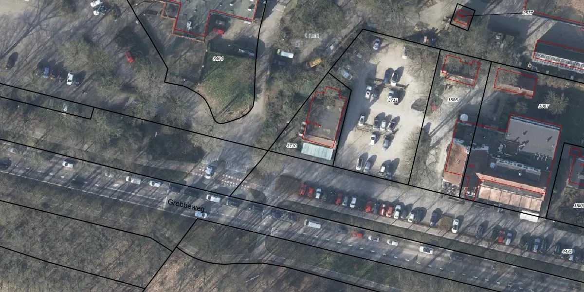
Perceel: RNN01-E-3710
KadastraleKaart.com kan meer dan je denktOntdek meer ›
Filter op bestemming 50+ datasets Eigendomsdata in één klik Percelen CRM
473 m2 - 93 m
Eigenaar opvragen
RNN01-E-3710 (Rhenen)
- 3911 AV
wZRz7AJgGghb0IN3djLhsUpgrade naar KadastraleKaart Pro
Verkoopprijs opvragen
Bekijk op Street View
Download DWG/DXF/Excel
3V8FqrzSiV7GTDaUpgrade naar KadastraleKaart Pro
Q zE VBGJv2G8eF7Upgrade naar KadastraleKaart Pro
LUqi5vonaat5MZy Upgrade naar KadastraleKaart Pro
mnuIeRbSVMUpgrade naar KadastraleKaart Pro
I56XfJmPQveQy8xfACUpgrade naar KadastraleKaart Pro
Vs6JHRUA OH Ae YjUpgrade naar KadastraleKaart Pro
3ZwN4IaKtIxQHVxUpgrade naar KadastraleKaart Pro
IoCyTNAmrbphf Upgrade naar KadastraleKaart Pro
rl zcqvCx13p1My6DjhUpgrade naar KadastraleKaart Pro
r5Gqgio mCVdEmvuRRjaN Upgrade naar KadastraleKaart Pro
21/03/2011

Percelen
Gebruik de zoekbalk of klik op een perceel om informatie over het perceel te bekijken.