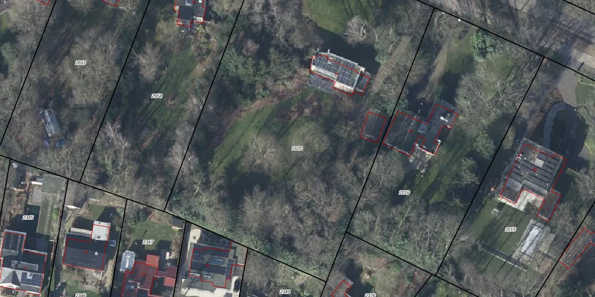
Perceel: RNN01-G-2020
KadastraleKaart.com kan meer dan je denktOntdek meer ›
Filter op bestemming 50+ datasets Eigendomsdata in één klik Percelen CRM
5.995 m2 - 321 m
Eigenaar opvragen
RNN01-G-2020 (Rhenen)
- 3911 VB
DopR b85DPW068NL Qj l1 w 2CDUpgrade naar KadastraleKaart Pro
Bekijk op Street View
Download DWG/DXF/Excel
4R yKeyyMU0JF0Upgrade naar KadastraleKaart Pro
8M XyAYA8fxW YUpgrade naar KadastraleKaart Pro
toQqCzkttDQUpgrade naar KadastraleKaart Pro
C7 Ie2eFu Bh8m Upgrade naar KadastraleKaart Pro
YmRpdG0lcmaeUpgrade naar KadastraleKaart Pro
1fJ5Es MSvW7vh9LKOr2Upgrade naar KadastraleKaart Pro
RkLCUUYqTdtslKMG 1 jOUpgrade naar KadastraleKaart Pro
JIldVllWUpgrade naar KadastraleKaart Pro
rSJvPdgJniJ1wbYkSTR QUpgrade naar KadastraleKaart Pro
hNwikuU7 IZyIUpgrade naar KadastraleKaart Pro
10/01/2001

Percelen
Gebruik de zoekbalk of klik op een perceel om informatie over het perceel te bekijken.