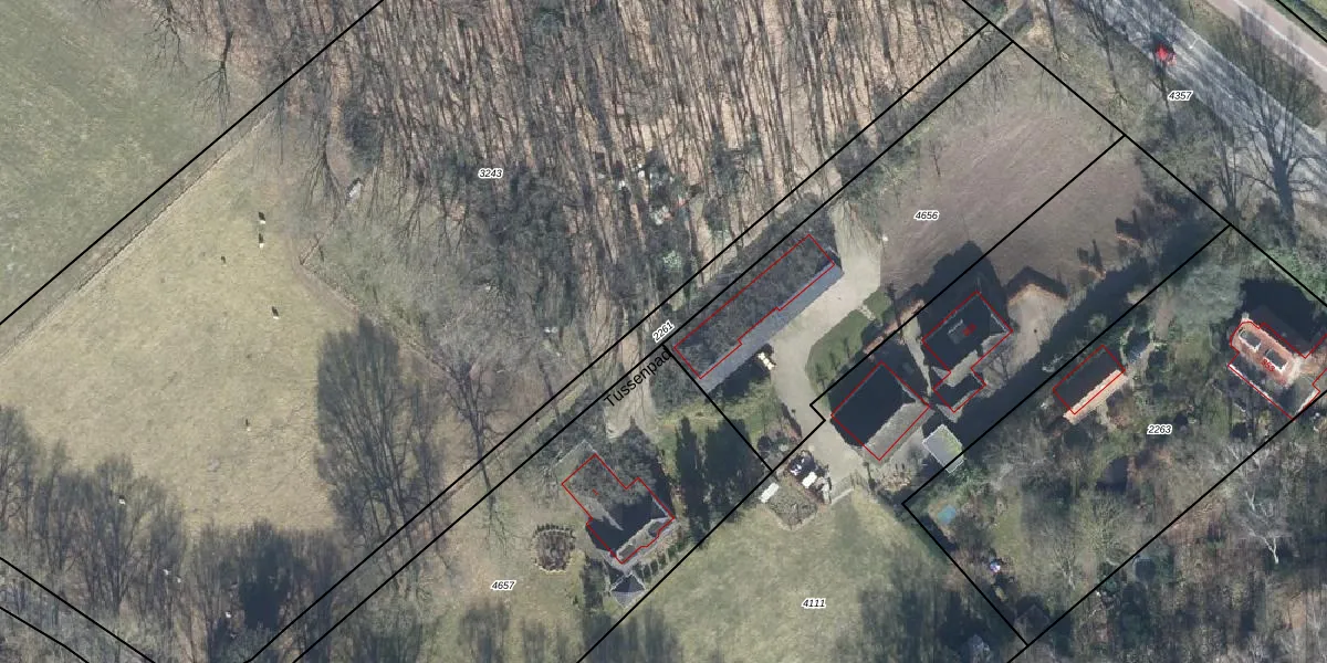
Perceel: RNN01-G-2261

Adres bij perceel

Geen adressen bij dit perceel

Perceeloppervlakte & perceelomtrek

770 m2 - 335 m

Eigenaar van het perceel

Eigenaar opvragen

Kadastrale aanduiding

RNN01-G-2261 (Rhenen)

Postcode in perceel

    Geen postcode aanwezig

Type eigenaar

Y 775820oKqpZB95j402krUpgrade naar KadastraleKaart Pro

Google Street View

Bekijk op Street View

Download

Download DWG/DXF/Excel

Gerelateerde percelen

G8LzVZtNu78yUpgrade naar KadastraleKaart Pro

Bebouwd/onbebouwd/water/groen

eF1AoxE6nbdd qvHAx zUpgrade naar KadastraleKaart Pro
Administratieve eenheden
gQCZ0G44ASfvUNDUpgrade naar KadastraleKaart Pro

Appartementsrechten

s ayQqtSA JXtUpgrade naar KadastraleKaart Pro

Vergunningverlenende instanties

yAdwMs0ox2u26Upgrade naar KadastraleKaart Pro

Bedekking (BGT)

wv3 5UIVWzlni9sJc nUpgrade naar KadastraleKaart Pro

Publiekrechtelijke beperkingen

0eORzksfZmaxxHc6 j0QUpgrade naar KadastraleKaart Pro

Grensnauwkeurigheid

IHloDs3hoOaNq K0 efNbqUpgrade naar KadastraleKaart Pro

Coördinaten hoekpunten perceel

YIl1TMsIUdN6InNUpgrade naar KadastraleKaart Pro

Hoogteligging

AIr1Pj PW KUpgrade naar KadastraleKaart Pro

Laatst gewijzigd

08/09/2009

Kadastrale kaart met maatvoering 59,95
Kadastrale kaart pakket 28,95

Percelen

Gebruik de zoekbalk of klik op een perceel om informatie over het perceel te bekijken.
Locatie
Meten
Lagen
Download