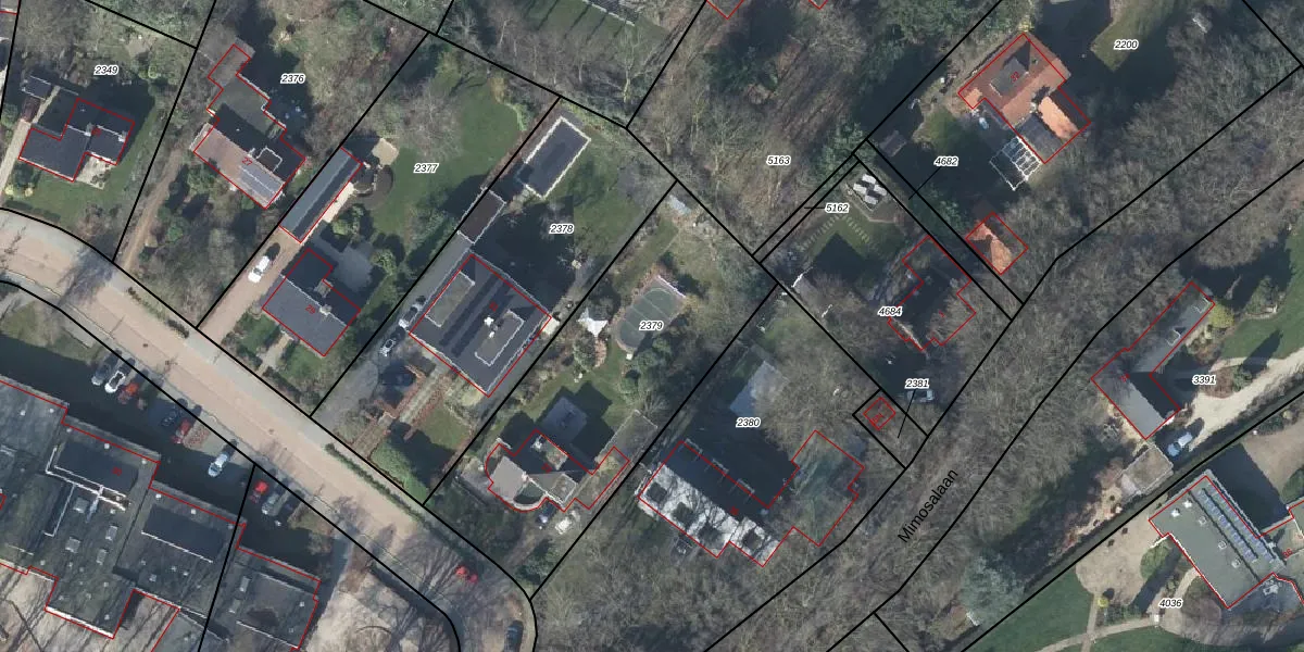
Perceel: RNN01-G-2379
KadastraleKaart.com kan meer dan je denktOntdek meer ›
Filter op bestemming 50+ datasets Eigendomsdata in één klik Percelen CRM
1.370 m2 - 169 m
Eigenaar opvragen
RNN01-G-2379 (Rhenen)
- 3911 XM
rdJ 8wUhjf2 3PbY xGg1POPl5L0Upgrade naar KadastraleKaart Pro
Bekijk op Street View
Download DWG/DXF/Excel
o3q X BCPTI8uwdlMtUpgrade naar KadastraleKaart Pro
qLqc WVPA8zbzIARV aUpgrade naar KadastraleKaart Pro
AaRcv0njRuXUpgrade naar KadastraleKaart Pro
mSWD1uqJ5S8vGZmUpgrade naar KadastraleKaart Pro
uz4c 4Ki4PNUpgrade naar KadastraleKaart Pro
F6yxQdvlp4XRjawI nUpgrade naar KadastraleKaart Pro
s7efXKCWREPX z0JOnSUpgrade naar KadastraleKaart Pro
IHtzgXxXUpgrade naar KadastraleKaart Pro
oZP N7Ww2Upgrade naar KadastraleKaart Pro
ib VA7juz7nd YEUpgrade naar KadastraleKaart Pro
07/08/2024

Percelen
Gebruik de zoekbalk of klik op een perceel om informatie over het perceel te bekijken.