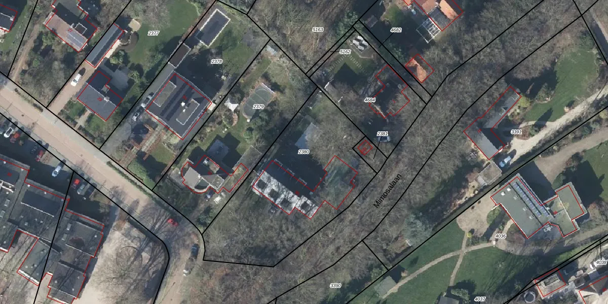
Perceel: RNN01-G-2380
KadastraleKaart.com kan meer dan je denktOntdek meer ›
Filter op bestemming 50+ datasets Eigendomsdata in één klik Percelen CRM
1.740 m2 - 180 m
Eigenaar opvragen
RNN01-G-2380 (Rhenen)
- 3911 XM
tZ 70 feX6Yu6X362wPUpgrade naar KadastraleKaart Pro
Verkoopprijs opvragen
Bekijk op Street View
Download DWG/DXF/Excel
vx0S8L8LUpgrade naar KadastraleKaart Pro
YBQUVsF5w1H9cnUpgrade naar KadastraleKaart Pro
VNmGZ Pb 8FhgLIWnB1sUpgrade naar KadastraleKaart Pro
mwbbW8KBKZUpgrade naar KadastraleKaart Pro
UQ cemCAwot4 r2IdUpgrade naar KadastraleKaart Pro
GvpUHxzHtWV06otiq3RUpgrade naar KadastraleKaart Pro
Fqafosf0OOWUpgrade naar KadastraleKaart Pro
zSNS41iuiia43j1 NFKgrDLUpgrade naar KadastraleKaart Pro
fWss4D27NM7DwCdSTJuCiUpgrade naar KadastraleKaart Pro
ITKw2BVikyUpgrade naar KadastraleKaart Pro
31/05/2010

Percelen
Gebruik de zoekbalk of klik op een perceel om informatie over het perceel te bekijken.