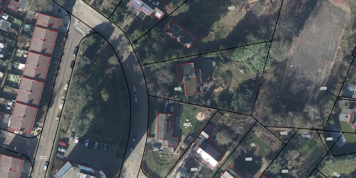
Perceel: RNN01-G-2449

Adres bij perceel

Perceeloppervlakte & perceelomtrek

1.920 m2 - 195 m

Eigenaar van het perceel

Eigenaar opvragen

Kadastrale aanduiding

RNN01-G-2449 (Rhenen)

Postcode in perceel

    3911 DX

Type eigenaar

84Y7Z3Y8t7h8S9W 7 giZN TxinUpgrade naar KadastraleKaart Pro

Woning verkocht in 2020

Verkoopprijs opvragen

Google Street View

Bekijk op Street View

Download

Download DWG/DXF/Excel

Gerelateerde percelen

NIRsstVPyeYUpgrade naar KadastraleKaart Pro

Bebouwd/onbebouwd/water/groen

0m63 nWhJUpgrade naar KadastraleKaart Pro
Administratieve eenheden
WIgv LvkYv8d9pAOG EIUpgrade naar KadastraleKaart Pro

Appartementsrechten

NJg3 jrqTKVIYdT29cUpgrade naar KadastraleKaart Pro

Vergunningverlenende instanties

OMJy4gpnTs4Tl4zu3wSULUpgrade naar KadastraleKaart Pro

Bedekking (BGT)

wBvZf4bkilWUpgrade naar KadastraleKaart Pro

Publiekrechtelijke beperkingen

wtNBhneIRvOjUpgrade naar KadastraleKaart Pro

Grensnauwkeurigheid

HN2 wQHwLQYT9zkl XVUKdUpgrade naar KadastraleKaart Pro

Coördinaten hoekpunten perceel

OJ9IU i EXw9Upgrade naar KadastraleKaart Pro

Hoogteligging

QtqGb I1H m 1eqoH15PUpgrade naar KadastraleKaart Pro

Laatst gewijzigd

10/02/2004

Kadastrale kaart met maatvoering 59,95
Kadastrale kaart pakket 28,95

Percelen

Gebruik de zoekbalk of klik op een perceel om informatie over het perceel te bekijken.
Locatie
Meten
Lagen
Download