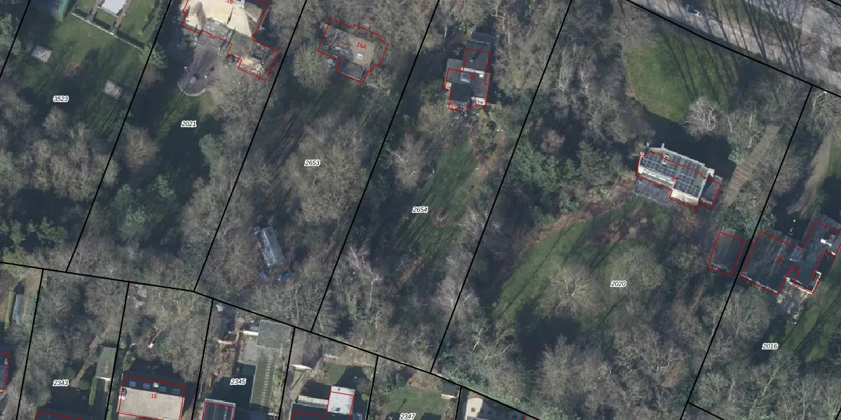
Perceel: RNN01-G-2654
KadastraleKaart.com kan meer dan je denktOntdek meer ›
Filter op bestemming 50+ datasets Eigendomsdata in één klik Percelen CRM
3.060 m2 - 265 m
Eigenaar opvragen
RNN01-G-2654 (Rhenen)
- 3911 VB
tSVO 5LB1pnc6iPDSL oUpgrade naar KadastraleKaart Pro
Bekijk op Street View
Download DWG/DXF/Excel
Q0k Xrkv ZJUpgrade naar KadastraleKaart Pro
rQsY 7Je JUpgrade naar KadastraleKaart Pro
HOFlWhummijePUpgrade naar KadastraleKaart Pro
8EiH2sFNZuzOUk45GArUpgrade naar KadastraleKaart Pro
Mf1XSLVwN SU Upgrade naar KadastraleKaart Pro
9VD L4sioRiAVnhYj Upgrade naar KadastraleKaart Pro
VQAqEHUjnjUpgrade naar KadastraleKaart Pro
9zix KmhGiUpgrade naar KadastraleKaart Pro
WrxKbyG8mqUpgrade naar KadastraleKaart Pro
42sGHfKonXhd fUpgrade naar KadastraleKaart Pro
31/10/2002

Percelen
Gebruik de zoekbalk of klik op een perceel om informatie over het perceel te bekijken.