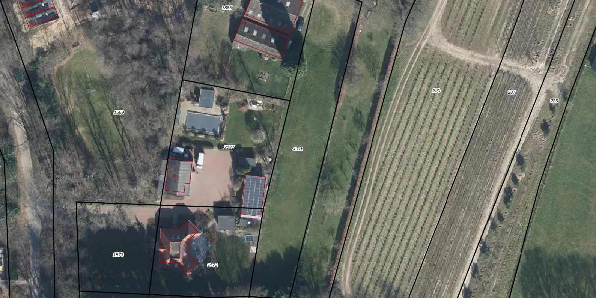
Perceel: RNN01-G-4001
KadastraleKaart.com kan meer dan je denktOntdek meer ›
Filter op bestemming 50+ datasets Eigendomsdata in één klik Percelen CRM
Geen adressen bij dit perceel
1.650 m2 - 239 m
Eigenaar opvragen
RNN01-G-4001 (Rhenen)
- Geen postcode aanwezig
fBx KlcggqepZxbpDkOi 0PINUpgrade naar KadastraleKaart Pro
Bekijk op Street View
Download DWG/DXF/Excel
vxCXak4YPhkPDjLeTb Upgrade naar KadastraleKaart Pro
7KIdrI2zRHb5coZm4IdbcRUpgrade naar KadastraleKaart Pro
ShFOScoDmo14Y PUpgrade naar KadastraleKaart Pro
N5NqQZ9YLfqqqT51Ick4OUpgrade naar KadastraleKaart Pro
3wS9ZYydfKotIG9uSUpgrade naar KadastraleKaart Pro
bk6o sdPDNKK PyWWeghBUpgrade naar KadastraleKaart Pro
VHRU73ABIVFRtpkFglP4Upgrade naar KadastraleKaart Pro
ww NZ Dg3QAnIB1ChgjUpgrade naar KadastraleKaart Pro
msrE4n4o TUpgrade naar KadastraleKaart Pro
LTUdeTVNIUpgrade naar KadastraleKaart Pro
30/05/2001

Percelen
Gebruik de zoekbalk of klik op een perceel om informatie over het perceel te bekijken.