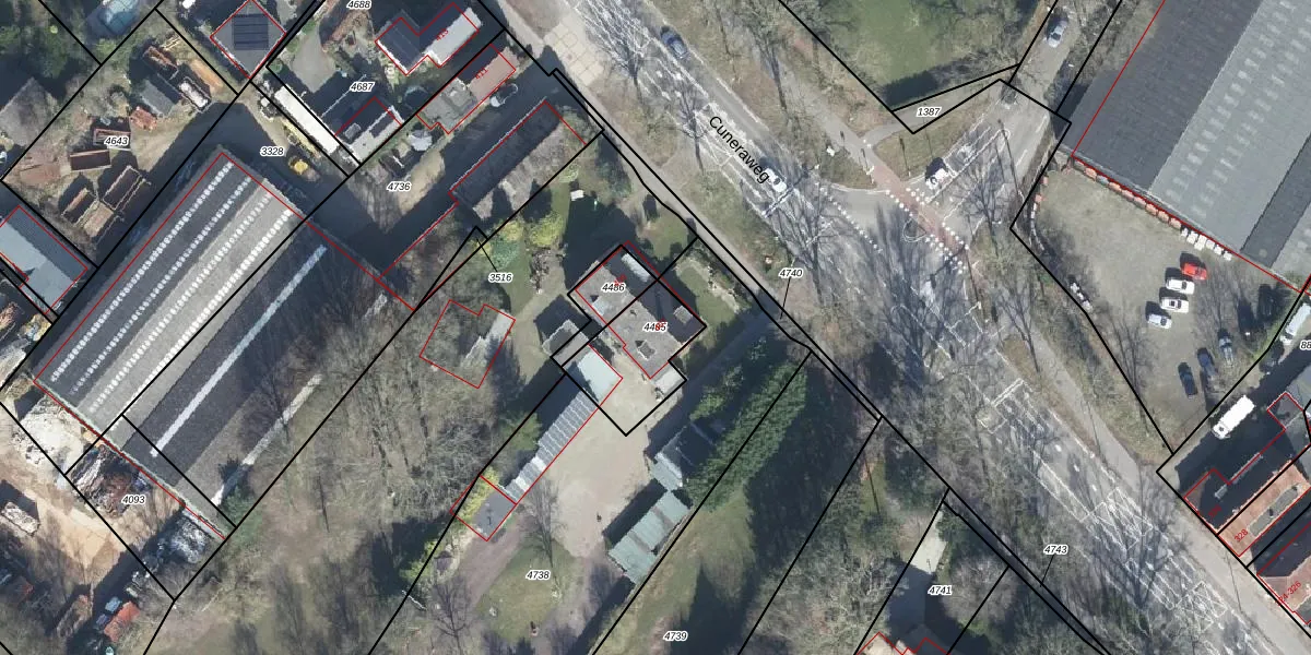
Perceel: RNN01-G-4485
KadastraleKaart.com kan meer dan je denktOntdek meer ›
Filter op bestemming 50+ datasets Eigendomsdata in één klik Percelen CRM
240 m2 - 69 m
Eigenaar opvragen
RNN01-G-4485 (Rhenen)
- 3911 RL
leDx2NH5mV7H9vJXDUVUpgrade naar KadastraleKaart Pro
Bekijk op Street View
Download DWG/DXF/Excel
5rJEFD6oKIEUPjUpgrade naar KadastraleKaart Pro
tXNa9dRYqVqk9 T GrUpgrade naar KadastraleKaart Pro
Lmuv6tX n cKLUpgrade naar KadastraleKaart Pro
qiwjpfWCz 4GUpgrade naar KadastraleKaart Pro
sM uEzEU5z8T TJ8ozUpgrade naar KadastraleKaart Pro
X1AEJJD e42a 0MUpgrade naar KadastraleKaart Pro
oCGDy uA LB6KUpgrade naar KadastraleKaart Pro
Jr t XOAtUGWmnXDfAUpgrade naar KadastraleKaart Pro
LmpB1YDbSBnPuRHKfyW1Upgrade naar KadastraleKaart Pro
G BKO0JK3goFnne9TUpgrade naar KadastraleKaart Pro
25/07/2005

Percelen
Gebruik de zoekbalk of klik op een perceel om informatie over het perceel te bekijken.