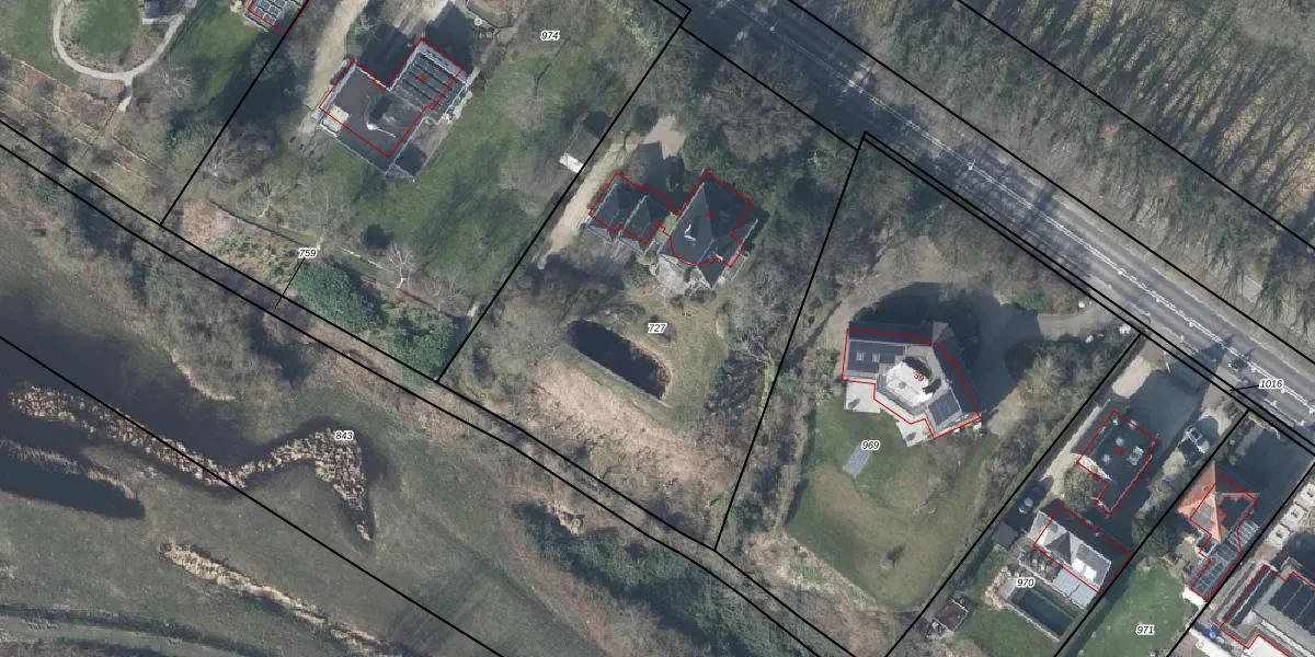
Perceel: RNN01-I-727
KadastraleKaart.com kan meer dan je denktOntdek meer ›
Filter op bestemming 50+ datasets Eigendomsdata in één klik Percelen CRM
2.864 m2 - 213 m
Eigenaar opvragen
RNN01-I-727 (Rhenen)
- 3911 TR
rbU8XO fyoJM09INyEA8clttUpgrade naar KadastraleKaart Pro
Verkoopprijs opvragen
Bekijk op Street View
Download DWG/DXF/Excel
wB3h5aPW2Bh2 joPHlW DUpgrade naar KadastraleKaart Pro
1ICKJsvNUmfrl53BbGaAJUpgrade naar KadastraleKaart Pro
qefucR8uUPXhEvf Upgrade naar KadastraleKaart Pro
xH b RiGPMCRkEpYHhQelD5Upgrade naar KadastraleKaart Pro
be Qhi0RjScuUpgrade naar KadastraleKaart Pro
fv11qxC1Upgrade naar KadastraleKaart Pro
m PxN6ObsXUpgrade naar KadastraleKaart Pro
7TcD14Ibpn GeGcU BkeGN1Upgrade naar KadastraleKaart Pro
g2TzA9BiBmpUpgrade naar KadastraleKaart Pro
v0VZcegW7Upgrade naar KadastraleKaart Pro
28/02/2002

Percelen
Gebruik de zoekbalk of klik op een perceel om informatie over het perceel te bekijken.