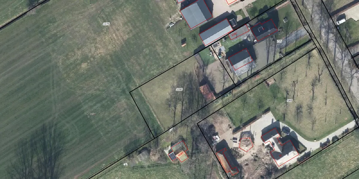
Perceel: RNN01-K-1090
Geen adressen bij dit perceel
1.500 m2 - 162 m
Eigenaar opvragen
RNN01-K-1090 (Rhenen)
- Geen postcode aanwezig
yVR vzo Xs97GfztNDYmUpgrade naar KadastraleKaart Pro
Bekijk op Street View
Download DWG/DXF/Excel
9HzGpCrbS9 qEY9a1Q Jp0 Upgrade naar KadastraleKaart Pro
nNtOzHO6WlUpgrade naar KadastraleKaart Pro
W1ypO OmNe56 PNxL5Ef1zUpgrade naar KadastraleKaart Pro
9y3 upVsOJUpgrade naar KadastraleKaart Pro
E yQLD3tijAD6aFUKma8LzwUpgrade naar KadastraleKaart Pro
teJauOtq3bx6qd fIxUbTKjUpgrade naar KadastraleKaart Pro
ih1sBGPN0b jEP9Upgrade naar KadastraleKaart Pro
v bb5JNWM JtRPRKIUpgrade naar KadastraleKaart Pro
b8hKLrPELUpgrade naar KadastraleKaart Pro
s ffrwfzBMPeJS4YlxhUpgrade naar KadastraleKaart Pro
07/10/2011

Percelen
Gebruik de zoekbalk of klik op een perceel om informatie over het perceel te bekijken.