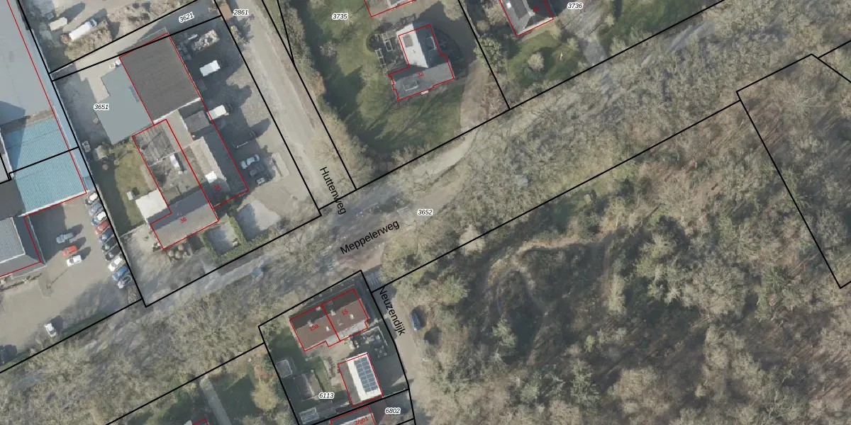
Perceel: RNN02-B-3652
KadastraleKaart.com kan meer dan je denktOntdek meer ›
Filter op bestemming 50+ datasets Eigendomsdata in één klik Percelen CRM
Geen adressen bij dit perceel
11.212 m2 - 1.122 m
Eigenaar opvragen
RNN02-B-3652 (Ruinen)
- Geen postcode aanwezig
gehux9rVdWCPK5vwwKErh8 5LH b1ZSUpgrade naar KadastraleKaart Pro
Bekijk op Street View
Download DWG/DXF/Excel
NnF5xKPfzSfrqxGUpgrade naar KadastraleKaart Pro
fFRtaEm F56EUpgrade naar KadastraleKaart Pro
SSbB LivKjW313Upgrade naar KadastraleKaart Pro
cTa R tazUpgrade naar KadastraleKaart Pro
UR QwCyXOTUpgrade naar KadastraleKaart Pro
tSY6vRkdMGPUpgrade naar KadastraleKaart Pro
tMD0fLs ykjUvDGUpgrade naar KadastraleKaart Pro
s8pV tg7 MsjCJga Upgrade naar KadastraleKaart Pro
2 KE7r5sZVUpgrade naar KadastraleKaart Pro
WIe8x0nac 69W1gpeMyUpgrade naar KadastraleKaart Pro
28/04/2020

Percelen
Gebruik de zoekbalk of klik op een perceel om informatie over het perceel te bekijken.