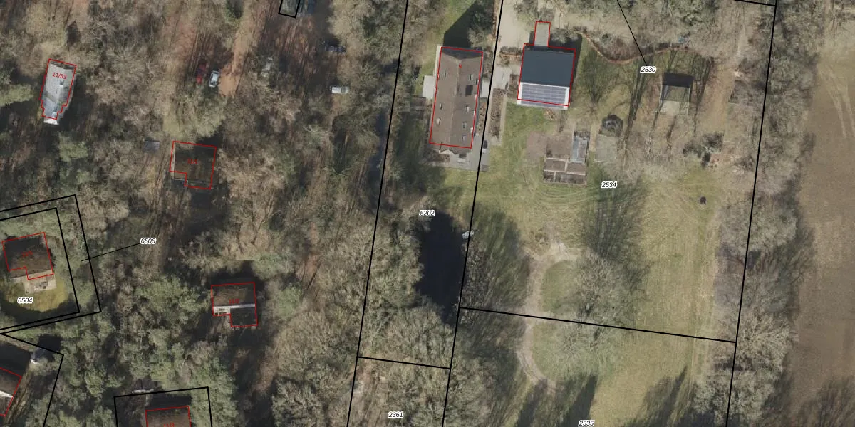
Perceel: RNN02-E-5202
KadastraleKaart.com kan meer dan je denktOntdek meer ›
Filter op bestemming 50+ datasets Eigendomsdata in één klik Percelen CRM
2.060 m2 - 236 m
Eigenaar opvragen
RNN02-E-5202 (Ruinen)
- 7963 PZ
Jm1QFirH432dWRM1YS 237EPvUpgrade naar KadastraleKaart Pro
Verkoopprijs opvragen
Bekijk op Street View
Download DWG/DXF/Excel
Ou TTBV0l04oG 01tUpgrade naar KadastraleKaart Pro
wUqHuXxHGVnjnK OdQHUpgrade naar KadastraleKaart Pro
sandy Y wRkEAcGa OeFNVeUpgrade naar KadastraleKaart Pro
aE6SVjmbUUH41NGPTUpgrade naar KadastraleKaart Pro
1JvReU8TwUpgrade naar KadastraleKaart Pro
E89xFck3go kUpgrade naar KadastraleKaart Pro
0K9EUFqMxUk2izv CmMg2Upgrade naar KadastraleKaart Pro
qQLswbJjrbrg17Gqu S3bAUpgrade naar KadastraleKaart Pro
NaoZQ3MxUpgrade naar KadastraleKaart Pro
WXj8Vd4IQqtxtrRXre2 sUpgrade naar KadastraleKaart Pro
15/12/2010

Percelen
Gebruik de zoekbalk of klik op een perceel om informatie over het perceel te bekijken.