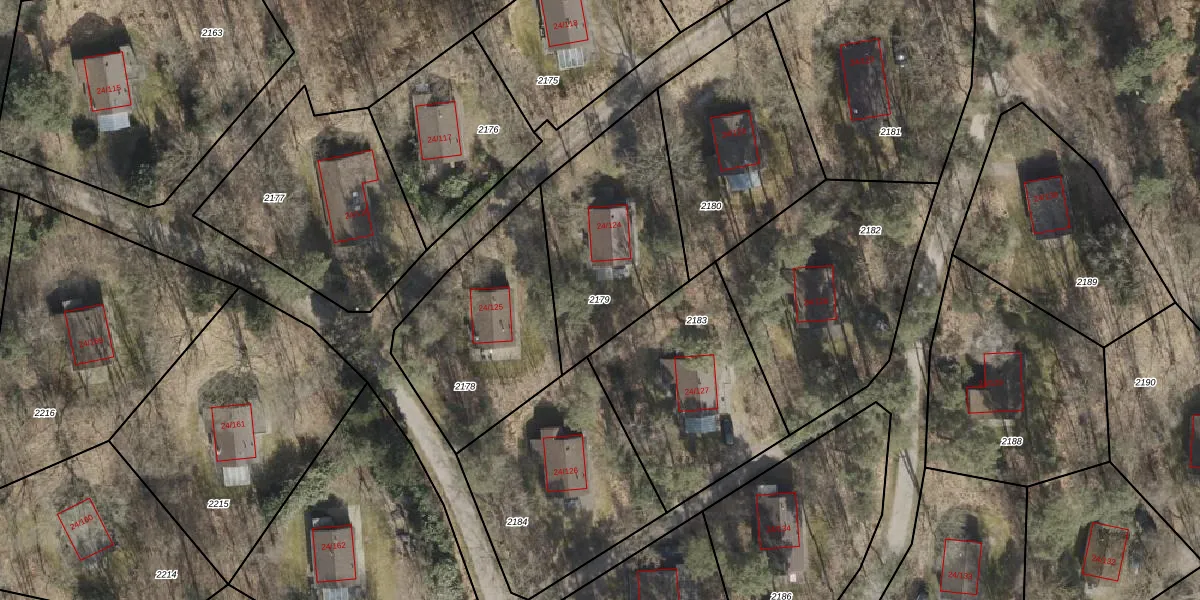
Perceel: RNN02-F-2179
KadastraleKaart.com kan meer dan je denktOntdek meer ›
Filter op bestemming 50+ datasets Eigendomsdata in één klik Percelen CRM
722 m2 - 116 m
Eigenaar opvragen
RNN02-F-2179 (Ruinen)
- 7932 PX
yQteeZ4D6Ir1l s OdVA VdV1fMVUpgrade naar KadastraleKaart Pro
Bekijk op Street View
Download DWG/DXF/Excel
oziYp059rT QrUpgrade naar KadastraleKaart Pro
4kL3F mHcjZUpgrade naar KadastraleKaart Pro
s5CZo0OlyeH x1BPMW Upgrade naar KadastraleKaart Pro
sDvIsoTN5SoCat j AoUa53Upgrade naar KadastraleKaart Pro
USoB5DKFMUpgrade naar KadastraleKaart Pro
TdzbvRy2GpbFBNwG muOhAqUpgrade naar KadastraleKaart Pro
0FqAQiP ZbpzT2Wvg7FUpgrade naar KadastraleKaart Pro
Q4o41Gu2Upgrade naar KadastraleKaart Pro
yFNKwW6 XEFsqUpgrade naar KadastraleKaart Pro
BoAqSmQvuUpgrade naar KadastraleKaart Pro
31/05/2001

Percelen
Gebruik de zoekbalk of klik op een perceel om informatie over het perceel te bekijken.