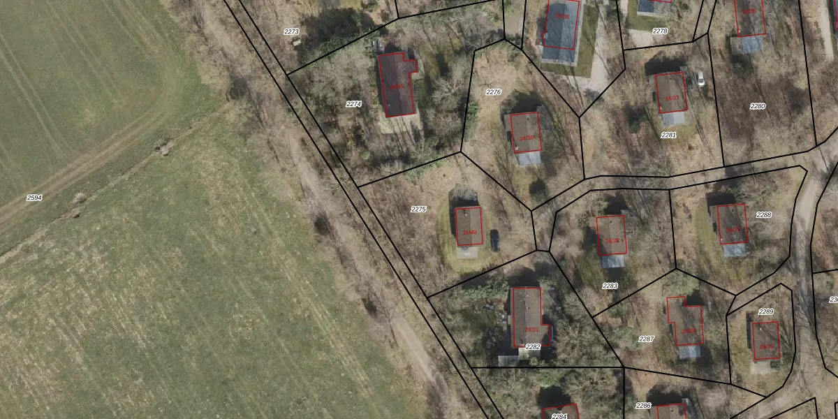
Perceel: RNN02-F-2275
KadastraleKaart.com kan meer dan je denktOntdek meer ›
Filter op bestemming 50+ datasets Eigendomsdata in één klik Percelen CRM
876 m2 - 117 m
Eigenaar opvragen
RNN02-F-2275 (Ruinen)
- 7932 PX
4XFIuC OlVCe27QL3haK44BUpgrade naar KadastraleKaart Pro
Bekijk op Street View
Download DWG/DXF/Excel
VCBNrEiKTlj TSUpgrade naar KadastraleKaart Pro
dUv MjFuCUpgrade naar KadastraleKaart Pro
1CtW3j kT3XgVJc BVE5oUpgrade naar KadastraleKaart Pro
KZsQnyLz9zAjHMSrz7Upgrade naar KadastraleKaart Pro
Q4 mwMpJDs ebUpgrade naar KadastraleKaart Pro
0imtv0 aGMUpgrade naar KadastraleKaart Pro
7364WyLSEb Upgrade naar KadastraleKaart Pro
6v0OM1r 05hX2zbEQj83Upgrade naar KadastraleKaart Pro
5lAQh ByWtV HvUpgrade naar KadastraleKaart Pro
oxlc3Ve 7SUMb NykG2LUpgrade naar KadastraleKaart Pro
31/05/2001

Percelen
Gebruik de zoekbalk of klik op een perceel om informatie over het perceel te bekijken.