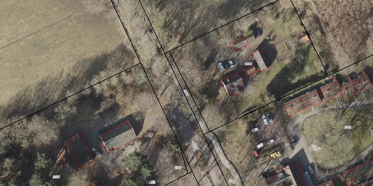
Perceel: RNN02-F-2699
KadastraleKaart.com kan meer dan je denktOntdek meer ›
Filter op bestemming 50+ datasets Eigendomsdata in één klik Percelen CRM
Geen adressen bij dit perceel
152 m2 - 103 m
Eigenaar opvragen
RNN02-F-2699 (Ruinen)
- Geen postcode aanwezig
ck7VsodKiSWtCx8V7Upgrade naar KadastraleKaart Pro
Bekijk op Street View
Download DWG/DXF/Excel
KAEbk TycFiuUpgrade naar KadastraleKaart Pro
MT4pbq8jjUpgrade naar KadastraleKaart Pro
KW2AguoggpWHBb4U6PAXUpgrade naar KadastraleKaart Pro
umHS uoQlkUpgrade naar KadastraleKaart Pro
9 3 vavQUpgrade naar KadastraleKaart Pro
t ewhcY A2J 3TtKHUpgrade naar KadastraleKaart Pro
gjET In4WUpgrade naar KadastraleKaart Pro
5pOQ1Jfi cIaQEA1Upgrade naar KadastraleKaart Pro
gJ2sFx7HGjlWUpgrade naar KadastraleKaart Pro
l duZTerGXO9rURzbvYUpgrade naar KadastraleKaart Pro
10/10/2022

Percelen
Gebruik de zoekbalk of klik op een perceel om informatie over het perceel te bekijken.