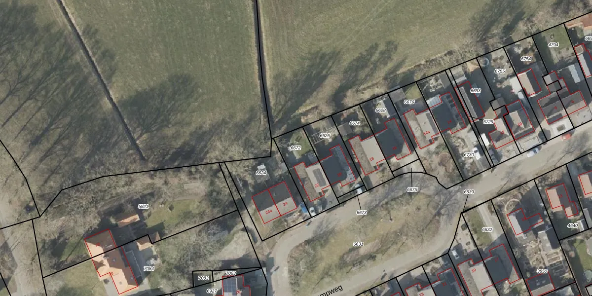
Perceel: RNN02-H-6672
KadastraleKaart.com kan meer dan je denktOntdek meer ›
Filter op bestemming 50+ datasets Eigendomsdata in één klik Percelen CRM
310 m2 - 80 m
Eigenaar opvragen
RNN02-H-6672 (Ruinen)
- 7963 BL
kR Pz90K WjxjcGM3 M9D Upgrade naar KadastraleKaart Pro
Verkoopprijs opvragen
Bekijk op Street View
Download DWG/DXF/Excel
256 2Xlf3xnZlREC5JU6MgUpgrade naar KadastraleKaart Pro
etaCqgQTUpgrade naar KadastraleKaart Pro
vfx F3R bUNUpgrade naar KadastraleKaart Pro
YoTkR2 GUvPlqq LgbUpgrade naar KadastraleKaart Pro
apAzl4hle vPeiIj g6Upgrade naar KadastraleKaart Pro
f30tWey7EHMI UU3Upgrade naar KadastraleKaart Pro
emkt71oTKMUpgrade naar KadastraleKaart Pro
lWQfoipGstMd5VmpzzUpgrade naar KadastraleKaart Pro
8A0dM9TxBwKeqMJ 17VxZj Upgrade naar KadastraleKaart Pro
0RdAKN6C pMY76N6QCUpgrade naar KadastraleKaart Pro
29/05/2001

Percelen
Gebruik de zoekbalk of klik op een perceel om informatie over het perceel te bekijken.