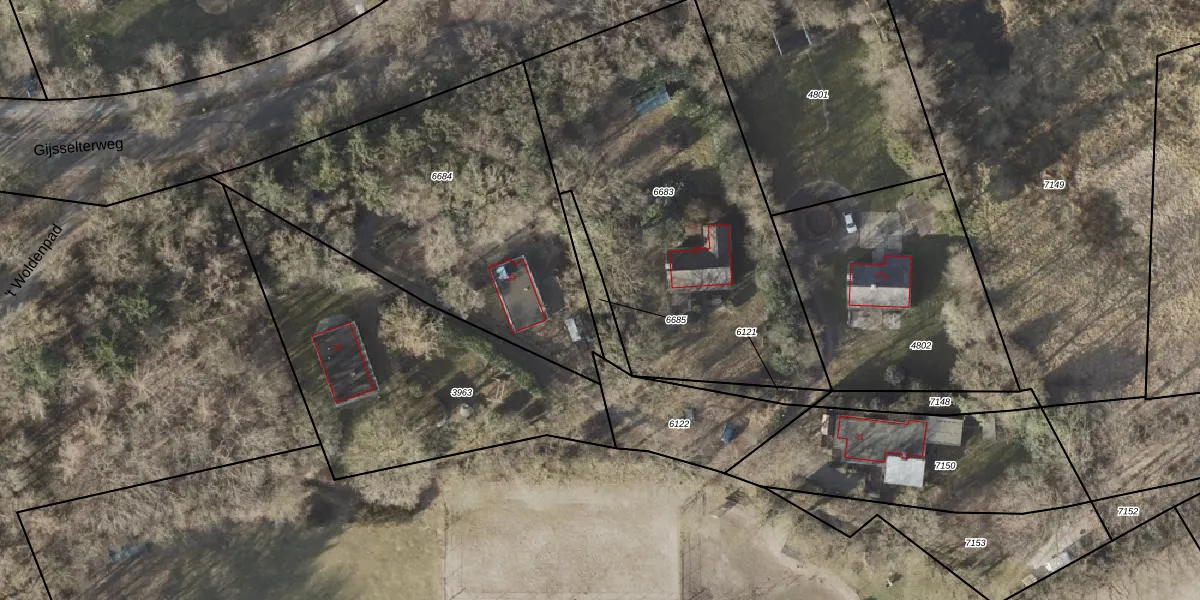
Perceel: RNN02-H-6685
Geen adressen bij dit perceel
93 m2 - 69 m
Eigenaar opvragen
RNN02-H-6685 (Ruinen)
- Geen postcode aanwezig
big1i5QokHMhU 06B8cb7oUpgrade naar KadastraleKaart Pro
Bekijk op Street View
Download DWG/DXF/Excel
tG 63v6 jkoRHoUpgrade naar KadastraleKaart Pro
6MGVwS34PeDi6V4bUpgrade naar KadastraleKaart Pro
uz4D00Oz A0A2RUpgrade naar KadastraleKaart Pro
8uelgpi5 Upgrade naar KadastraleKaart Pro
LiZKd8rCm oMroWsUpgrade naar KadastraleKaart Pro
xljRjuCDxJp ubUImmCUpgrade naar KadastraleKaart Pro
bUJmpn1 y7an4zO1SpEyoLUpgrade naar KadastraleKaart Pro
HzMBq A2nVhmGNEF fnmeBRUpgrade naar KadastraleKaart Pro
IGJYrPvRUpgrade naar KadastraleKaart Pro
QUQuNX98 caeLHxUpgrade naar KadastraleKaart Pro
18/03/2008

Percelen
Gebruik de zoekbalk of klik op een perceel om informatie over het perceel te bekijken.