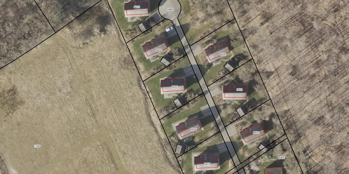
Perceel: RNN02-H-6835
701 m2 - 107 m
Eigenaar opvragen
RNN02-H-6835 (Ruinen)
- 7963 PE
InYtgGh9ZjKJ 36oUpgrade naar KadastraleKaart Pro
Bekijk op Street View
Download DWG/DXF/Excel
9T xt s Q Upgrade naar KadastraleKaart Pro
Kr NTiTVufGsvUpgrade naar KadastraleKaart Pro
5OUFGnibTUpgrade naar KadastraleKaart Pro
1er 7xYpg1GcysG 5YoUpgrade naar KadastraleKaart Pro
RWYx91xoVUpgrade naar KadastraleKaart Pro
8nBHRrqZAf kUpgrade naar KadastraleKaart Pro
soV aPNw g8fHHxgo4eUpgrade naar KadastraleKaart Pro
C5ZVAfu6tYI OYca5wUpgrade naar KadastraleKaart Pro
A2N Py V0wiEGo 2TUpgrade naar KadastraleKaart Pro
zeOv1yQjJTCHUpgrade naar KadastraleKaart Pro
30/03/2011

Percelen
Gebruik de zoekbalk of klik op een perceel om informatie over het perceel te bekijken.