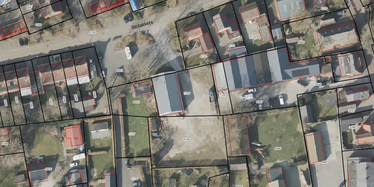
Perceel: RNN02-H-7106
KadastraleKaart.com kan meer dan je denktOntdek meer ›
Filter op bestemming 50+ datasets Eigendomsdata in één klik Percelen CRM
793 m2 - 114 m
Eigenaar opvragen
RNN02-H-7106 (Ruinen)
- 7963 AL
vcOKN16UkTRUgiv4ZMUpgrade naar KadastraleKaart Pro
Bekijk op Street View
Download DWG/DXF/Excel
ie7ePz ss8lagj7xACCiUpgrade naar KadastraleKaart Pro
ZumEn7hhIBMNgL u H2f Upgrade naar KadastraleKaart Pro
b Aw5Y 3im83Upgrade naar KadastraleKaart Pro
L FAp dYUpgrade naar KadastraleKaart Pro
x1xAQ87xnZMPI4Fp Upgrade naar KadastraleKaart Pro
y1 7 CBXGHbrvQaqUpgrade naar KadastraleKaart Pro
tFUuRzTfdLCxjfUpgrade naar KadastraleKaart Pro
XCSOgBaSD1Upgrade naar KadastraleKaart Pro
v0qy5Det sNZu VXUpgrade naar KadastraleKaart Pro
y PTReKsEUpgrade naar KadastraleKaart Pro
15/05/2018

Percelen
Gebruik de zoekbalk of klik op een perceel om informatie over het perceel te bekijken.