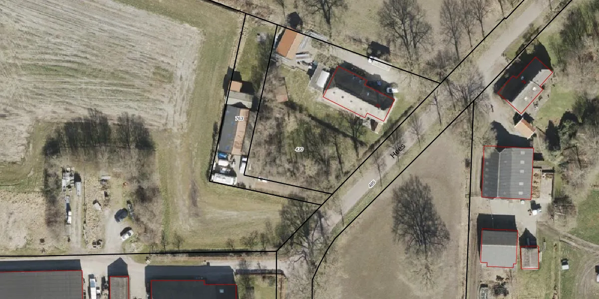
Perceel: RNN02-K-430
KadastraleKaart.com kan meer dan je denktOntdek meer ›
Filter op bestemming 50+ datasets Eigendomsdata in één klik Percelen CRM
2.141 m2 - 191 m
Eigenaar opvragen
RNN02-K-430 (Ruinen)
- 7963 PA
bf4U2D8Qk4wOwVEFSgDqfxgWBe1 Upgrade naar KadastraleKaart Pro
Verkoopprijs opvragen
Bekijk op Street View
Download DWG/DXF/Excel
lmM Lgrn 1Upgrade naar KadastraleKaart Pro
ef7x aF Kb7w6TCEWgUpgrade naar KadastraleKaart Pro
Hcd2sffI7E2t1b tZ WoxUpgrade naar KadastraleKaart Pro
vyU VY g3t nkG3ap H1tGUpgrade naar KadastraleKaart Pro
AfChX92p LpCyDhUpgrade naar KadastraleKaart Pro
Y7FwIyFBxe0tUpgrade naar KadastraleKaart Pro
vOyr 43ArIoi AumUpgrade naar KadastraleKaart Pro
KWglE1aEtt8 KDjUpgrade naar KadastraleKaart Pro
J3ymKQ2VH6DhhjL1 WkK9Upgrade naar KadastraleKaart Pro
LhS ehIHMcnntUpgrade naar KadastraleKaart Pro
25/03/2026

Percelen
Gebruik de zoekbalk of klik op een perceel om informatie over het perceel te bekijken.