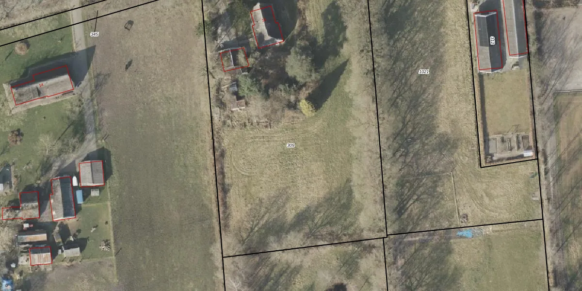
Perceel: RNN02-L-309
KadastraleKaart.com kan meer dan je denktOntdek meer ›
Filter op bestemming 50+ datasets Eigendomsdata in één klik Percelen CRM
5.568 m2 - 310 m
Eigenaar opvragen
RNN02-L-309 (Ruinen)
- 7963 PK
CS pXUdG0uMDcILgUpgrade naar KadastraleKaart Pro
Bekijk op Street View
Download DWG/DXF/Excel
QEJ7o4KkxUpgrade naar KadastraleKaart Pro
Jj5cMoXg2J qRKvV3JN3uUpgrade naar KadastraleKaart Pro
Wxo873HL5 Vd FUpgrade naar KadastraleKaart Pro
0cF tdj5Og DUpgrade naar KadastraleKaart Pro
Ua5YWUKklk0X NG8Upgrade naar KadastraleKaart Pro
aB d0 CAuVw Upgrade naar KadastraleKaart Pro
MENI0t tu7OVqAdZaUpgrade naar KadastraleKaart Pro
C51k gSMC7lKUpgrade naar KadastraleKaart Pro
L cXUtRcuzqrBy eUpgrade naar KadastraleKaart Pro
BJc21ah2Pa O2cTXUpgrade naar KadastraleKaart Pro
22/12/2021

Percelen
Gebruik de zoekbalk of klik op een perceel om informatie over het perceel te bekijken.