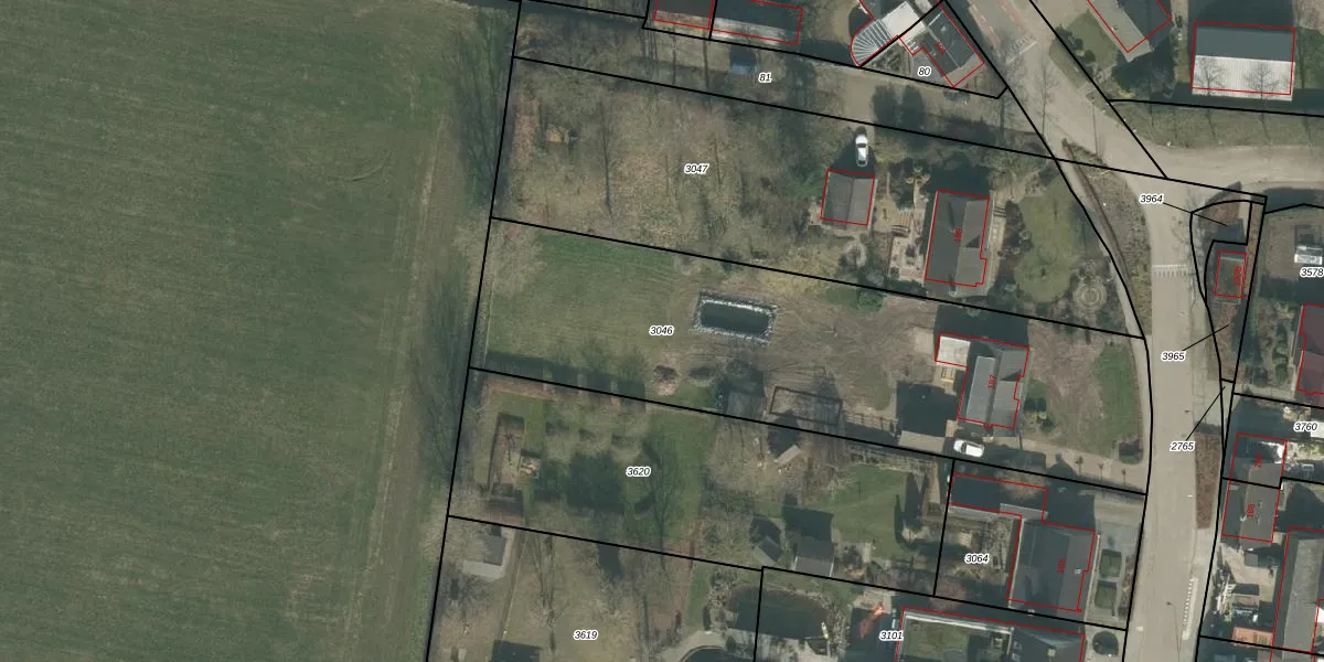
Perceel: RPN00-A-3046

Perceeloppervlakte & perceelomtrek

2.380 m2 - 251 m

Eigenaar van het perceel

Eigenaar opvragen

Kadastrale aanduiding

RPN00-A-3046 (Rucphen)

Postcode in perceel

    4735 AD

Type eigenaar

R0dDHHuUerExNiYH7sqUpgrade naar KadastraleKaart Pro

Woning verkocht in 2025

Verkoopprijs opvragen

Google Street View

Bekijk op Street View

Download

Download DWG/DXF/Excel

Gerelateerde percelen

e 3XUEMNr uxqsUzRUpgrade naar KadastraleKaart Pro

Bebouwd/onbebouwd/water/groen

i4I x31zrwy0gaJi Upgrade naar KadastraleKaart Pro
Administratieve eenheden
R JF RnD1xUpgrade naar KadastraleKaart Pro

Appartementsrechten

H Y HsuuNUpgrade naar KadastraleKaart Pro

Vergunningverlenende instanties

SL CjZ uU nTwUwbHdeWWUpgrade naar KadastraleKaart Pro

Bedekking (BGT)

hChF1e tk0V8SGD65 Upgrade naar KadastraleKaart Pro

Publiekrechtelijke beperkingen

wqVTPQspVzUpgrade naar KadastraleKaart Pro

Grensnauwkeurigheid

FOTtXxIiShUpgrade naar KadastraleKaart Pro

Coördinaten hoekpunten perceel

XMMfZzUZz5UebleHW7Upgrade naar KadastraleKaart Pro

Hoogteligging

GubFv6S43gXatJEWUpgrade naar KadastraleKaart Pro

Laatst gewijzigd

16/05/2025

Kadastrale kaart met maatvoering 59,95
Kadastrale kaart pakket 28,95

Percelen

Gebruik de zoekbalk of klik op een perceel om informatie over het perceel te bekijken.
Locatie
Meten
Lagen
Download