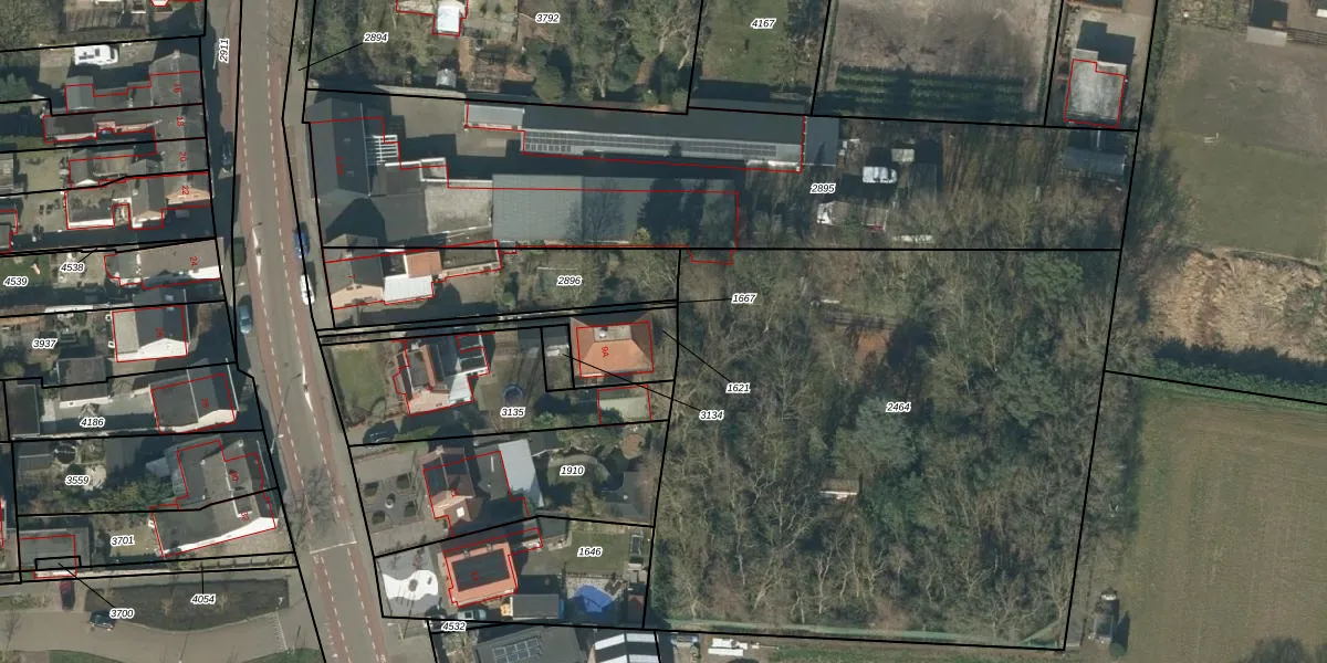
Perceel: RPN00-C-1621
KadastraleKaart.com kan meer dan je denktOntdek meer ›
Filter op bestemming 50+ datasets Eigendomsdata in één klik Percelen CRM
163 m2 - 129 m
Eigenaar opvragen
RPN00-C-1621 (Rucphen)
- 4715 CH
3rJB Nc2c1frVnP GZn4TU f35TUpgrade naar KadastraleKaart Pro
Bekijk op Street View
Download DWG/DXF/Excel
2l8A91wPy18oviB7e3Upgrade naar KadastraleKaart Pro
KlAmgXlrE9VAYnVDs1yXwWUpgrade naar KadastraleKaart Pro
eOIwgMXO380v dZUpgrade naar KadastraleKaart Pro
gz726U0SMZ P iRHUpgrade naar KadastraleKaart Pro
TBLVpvLGR4 86nGNOhUpgrade naar KadastraleKaart Pro
WN3fy3qdXX GMAziWsOVYHUpgrade naar KadastraleKaart Pro
JFU0da5 Upgrade naar KadastraleKaart Pro
reFMbvrzpbt1QM5P48ChUGUpgrade naar KadastraleKaart Pro
610qP GcVu7 DHUpgrade naar KadastraleKaart Pro
URIeAc Z21rPWys n5rUpgrade naar KadastraleKaart Pro
09/11/2009

Percelen
Gebruik de zoekbalk of klik op een perceel om informatie over het perceel te bekijken.