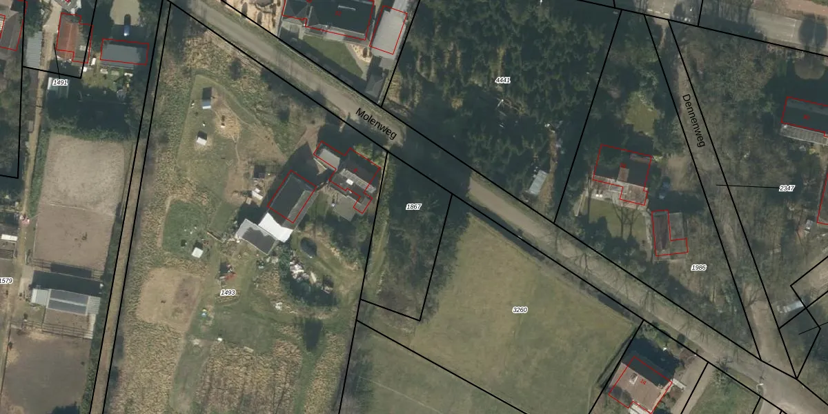
Perceel: RPN00-C-1867
KadastraleKaart.com kan meer dan je denktOntdek meer ›
Filter op bestemming 50+ datasets Eigendomsdata in één klik Percelen CRM
Geen adressen bij dit perceel
510 m2 - 102 m
Eigenaar opvragen
RPN00-C-1867 (Rucphen)
- Geen postcode aanwezig
qF1F5AXTQ jp MDc3 MVKAo9aqzSElfUpgrade naar KadastraleKaart Pro
Bekijk op Street View
Download DWG/DXF/Excel
UkLjhti UuUpgrade naar KadastraleKaart Pro
jqzpY aI9pUpgrade naar KadastraleKaart Pro
DP yqVW4 d88Upgrade naar KadastraleKaart Pro
DPptN8 JDF o53 rVUpgrade naar KadastraleKaart Pro
3jjE6Nq3DUpgrade naar KadastraleKaart Pro
G4ihqvemI4w2Upgrade naar KadastraleKaart Pro
WNV wz y8 r8aWiOnipGzUpgrade naar KadastraleKaart Pro
LVZGPpxw2tUpgrade naar KadastraleKaart Pro
9ReQtSLIZbR1SJUpgrade naar KadastraleKaart Pro
I7mXBVdFcUpgrade naar KadastraleKaart Pro
09/11/2009

Percelen
Gebruik de zoekbalk of klik op een perceel om informatie over het perceel te bekijken.