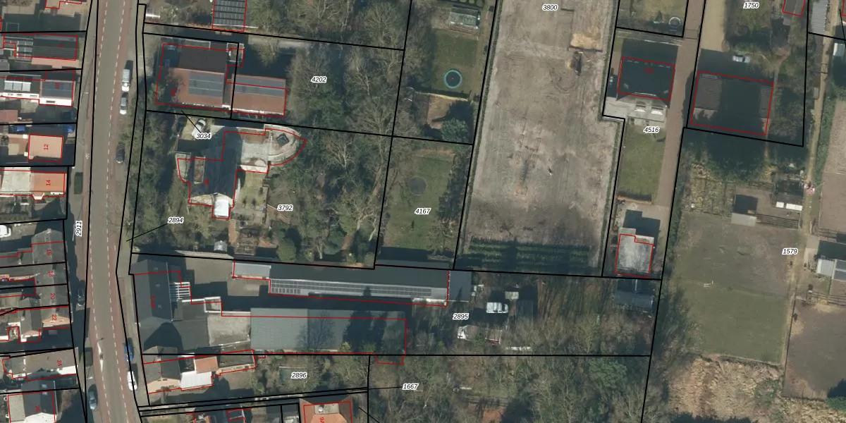
Perceel: RPN00-C-4167
KadastraleKaart.com kan meer dan je denktOntdek meer ›
Filter op bestemming 50+ datasets Eigendomsdata in één klik Percelen CRM
Geen adressen bij dit perceel
520 m2 - 99 m
Eigenaar opvragen
RPN00-C-4167 (Rucphen)
- Geen postcode aanwezig
nd3Q1FfxgcfopaWYXUpgrade naar KadastraleKaart Pro
Bekijk op Street View
Download DWG/DXF/Excel
vn3HueiVjIYH59E2Upgrade naar KadastraleKaart Pro
mlR2ujL nQFme4s ORSi wqUpgrade naar KadastraleKaart Pro
IB53yhr51ZgvUpgrade naar KadastraleKaart Pro
QmPULOf psnKzKqBdW82sGpUpgrade naar KadastraleKaart Pro
sAEAmQqLUpgrade naar KadastraleKaart Pro
wuOHX 903 KyGY5qakhXesJUpgrade naar KadastraleKaart Pro
DIzgk3BK8Upgrade naar KadastraleKaart Pro
HnApcrCdUK8DUpgrade naar KadastraleKaart Pro
Ok z8YXW mlDHnWv6 Upgrade naar KadastraleKaart Pro
tSJme5 BlkS5G GGxUpgrade naar KadastraleKaart Pro
09/11/2009

Percelen
Gebruik de zoekbalk of klik op een perceel om informatie over het perceel te bekijken.