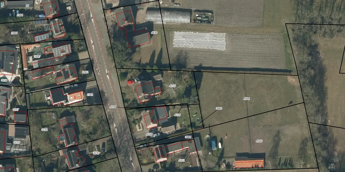
Perceel: RPN00-C-4215
KadastraleKaart.com kan meer dan je denktOntdek meer ›
Filter op bestemming 50+ datasets Eigendomsdata in één klik Percelen CRM
921 m2 - 132 m
Eigenaar opvragen
RPN00-C-4215 (Rucphen)
- 4715 CH
zyax7EmE5sNDVKpEjw57SGWu L5VKUpgrade naar KadastraleKaart Pro
Verkoopprijs opvragen
Bekijk op Street View
Download DWG/DXF/Excel
gMuuKh4JxJqDZBRYgSFmUpgrade naar KadastraleKaart Pro
GShWK 4aZ3n S 3AbqwKs Upgrade naar KadastraleKaart Pro
G5KZyzuLe4tUpgrade naar KadastraleKaart Pro
PTe6 E Vk6Kb5Upgrade naar KadastraleKaart Pro
uwCesry727SPmuTP0Upgrade naar KadastraleKaart Pro
57ks Sn glGV 69Upgrade naar KadastraleKaart Pro
Qd7jmz2jUEDqDUUpgrade naar KadastraleKaart Pro
r nEP AlWyjTLnm3yv21oUpgrade naar KadastraleKaart Pro
3GE t7 E IUpgrade naar KadastraleKaart Pro
2dOypiWRUpgrade naar KadastraleKaart Pro
25/07/2018

Percelen
Gebruik de zoekbalk of klik op een perceel om informatie over het perceel te bekijken.