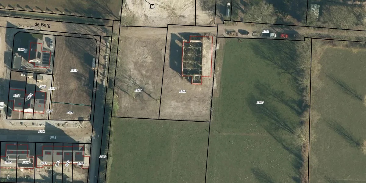
Perceel: RPN00-I-2248
KadastraleKaart.com kan meer dan je denktOntdek meer ›
Filter op bestemming 50+ datasets Eigendomsdata in één klik Percelen CRM
Geen adressen bij dit perceel
1.447 m2 - 160 m
Eigenaar opvragen
RPN00-I-2248 (Rucphen)
- Geen postcode aanwezig
kz3RR9Ve38nlyn QhsT7 t0 jBUpgrade naar KadastraleKaart Pro
Bekijk op Street View
Download DWG/DXF/Excel
KxNqHpnvOfwPi2x9Upgrade naar KadastraleKaart Pro
O0mUftRtPz0imUpgrade naar KadastraleKaart Pro
9z l N1nFVt Upgrade naar KadastraleKaart Pro
e UoA1f2Upgrade naar KadastraleKaart Pro
SVw52Dhv5Upgrade naar KadastraleKaart Pro
n8Cz D dsToCRHsr7lcTUpgrade naar KadastraleKaart Pro
dSPZkS3MK8kl5j heUpgrade naar KadastraleKaart Pro
V7EVxhhMWEOVS4vaxeLUpgrade naar KadastraleKaart Pro
VaNfEufXC4NKr4NZUpgrade naar KadastraleKaart Pro
xvPTWNYvL4 PHIUpgrade naar KadastraleKaart Pro
13/08/2025

Percelen
Gebruik de zoekbalk of klik op een perceel om informatie over het perceel te bekijken.