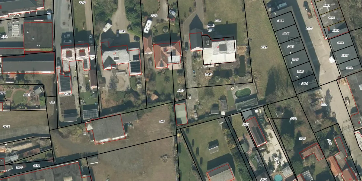
Perceel: RPN00-M-2037
KadastraleKaart.com kan meer dan je denktOntdek meer ›
Filter op bestemming 50+ datasets Eigendomsdata in één klik Percelen CRM
Geen adressen bij dit perceel
480 m2 - 172 m
Eigenaar opvragen
RPN00-M-2037 (Rucphen)
- Geen postcode aanwezig
Tn zrV4c ew2OFeTVb7od9Gfne5WUuUpgrade naar KadastraleKaart Pro
Bekijk op Street View
Download DWG/DXF/Excel
hIZfV0jmtI AsCUpgrade naar KadastraleKaart Pro
Dra nZlaqE39Upgrade naar KadastraleKaart Pro
Jd42BkixnfUpgrade naar KadastraleKaart Pro
dfOsC5xtSFI9rwPQ0TEjUpgrade naar KadastraleKaart Pro
qYQULM3ohpeVsC1Upgrade naar KadastraleKaart Pro
1 FEoAMD 21OyUpgrade naar KadastraleKaart Pro
NtW xgm PUpgrade naar KadastraleKaart Pro
SXVZxCvkNWG dm EfNXxWUpgrade naar KadastraleKaart Pro
eSZraKNZMEuaLoxqCRUpgrade naar KadastraleKaart Pro
h sUfK7GebBKUpgrade naar KadastraleKaart Pro
27/10/2010

Percelen
Gebruik de zoekbalk of klik op een perceel om informatie over het perceel te bekijken.