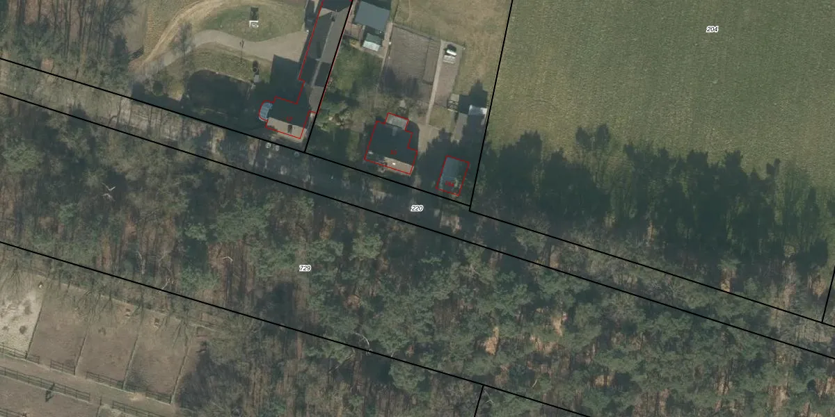
Perceel: RPN00-N-220

Adres bij perceel

Geen adressen bij dit perceel

Perceeloppervlakte & perceelomtrek

4.535 m2 - 1.253 m

Eigenaar van het perceel

Eigenaar opvragen

Kadastrale aanduiding

RPN00-N-220 (Rucphen)

Postcode in perceel

    Geen postcode aanwezig

Type eigenaar

O ZeML54F4DI Y2WjkQC rYUpgrade naar KadastraleKaart Pro

Google Street View

Bekijk op Street View

Download

Download DWG/DXF/Excel

Gerelateerde percelen

Z5ZmVhAKuUpgrade naar KadastraleKaart Pro

Bebouwd/onbebouwd/water/groen

pvQXJZ6MVu43YzDwRf0Upgrade naar KadastraleKaart Pro
Administratieve eenheden
aKEoQz1WkUpgrade naar KadastraleKaart Pro

Appartementsrechten

AQEjD z8c UUpgrade naar KadastraleKaart Pro

Vergunningverlenende instanties

KU3iMqhf33wUpgrade naar KadastraleKaart Pro

Bedekking (BGT)

KF3 pNfOyTZrbDFtYg4pKUpgrade naar KadastraleKaart Pro

Publiekrechtelijke beperkingen

sk56OutU4bzeMKPJCblts3JUpgrade naar KadastraleKaart Pro

Grensnauwkeurigheid

XPmbEOpuBguRDYNAvNJJyUpgrade naar KadastraleKaart Pro

Coördinaten hoekpunten perceel

sahH R9GabKdMUpgrade naar KadastraleKaart Pro

Hoogteligging

je FeKpxSokKUoEUpgrade naar KadastraleKaart Pro

Laatst gewijzigd

01/04/2022

Kadastrale kaart met maatvoering 59,95
Kadastrale kaart pakket 28,95

Percelen

Gebruik de zoekbalk of klik op een perceel om informatie over het perceel te bekijken.
Locatie
Meten
Lagen
Download