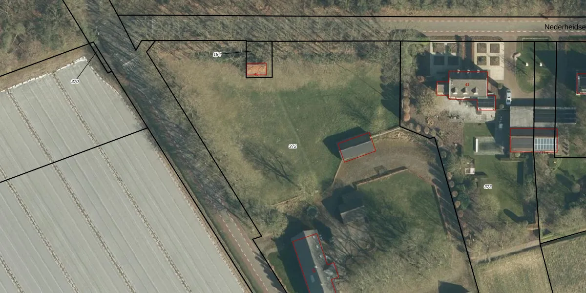
Perceel: RPN00-O-372
KadastraleKaart.com kan meer dan je denktOntdek meer ›
Filter op bestemming 50+ datasets Eigendomsdata in één klik Percelen CRM
8.152 m2 - 427 m
Eigenaar opvragen
RPN00-O-372 (Rucphen)
- 4721 PA
3LlzXw34KgrNx jPz l OoRYUpgrade naar KadastraleKaart Pro
Verkoopprijs opvragen
Bekijk op Street View
Download DWG/DXF/Excel
pZ6sJbbZfe11nxzG9R3 Upgrade naar KadastraleKaart Pro
ust v73er28LvxUpgrade naar KadastraleKaart Pro
FwFnKUZoisMmPLWx13vIyQ9Upgrade naar KadastraleKaart Pro
3ytHUrjQ9ZqUs p4eL6PzlPUpgrade naar KadastraleKaart Pro
Nvb Hu9K 57kGRhb9zy6u79Upgrade naar KadastraleKaart Pro
ubH2TTxVaUpgrade naar KadastraleKaart Pro
GDk 9hLZtHHLrK02ga IaVxUpgrade naar KadastraleKaart Pro
zaTb t5S ZzTfVgXQPUpgrade naar KadastraleKaart Pro
bWDwKwpsUpgrade naar KadastraleKaart Pro
M1dvnjBpY9B4YWUpgrade naar KadastraleKaart Pro
02/09/2009

Percelen
Gebruik de zoekbalk of klik op een perceel om informatie over het perceel te bekijken.