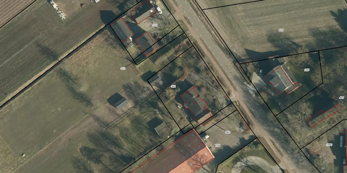
Perceel: RPN00-Q-561
KadastraleKaart.com kan meer dan je denktOntdek meer ›
Filter op bestemming 50+ datasets Eigendomsdata in één klik Percelen CRM
1.305 m2 - 145 m
Eigenaar opvragen
RPN00-Q-561 (Rucphen)
- 4721 SH
clbe rErbA9tlpsPVQUSUpgrade naar KadastraleKaart Pro
Verkoopprijs opvragen
Bekijk op Street View
Download DWG/DXF/Excel
hw lMnEszOXG5dY4 Upgrade naar KadastraleKaart Pro
QQoims i nvSUpgrade naar KadastraleKaart Pro
FqVI4PUlFnUpgrade naar KadastraleKaart Pro
uNgGk JMA1lgpwB7b 4Upgrade naar KadastraleKaart Pro
eai2EgD5VKjBzUpgrade naar KadastraleKaart Pro
Iw zc0u7Lfyy75YtA5RYOaZUpgrade naar KadastraleKaart Pro
wFhykAE eObXsSU idCW 3CUpgrade naar KadastraleKaart Pro
oVZGe0TTaHfz HzMsyavUpgrade naar KadastraleKaart Pro
Nqk2KBV3Upgrade naar KadastraleKaart Pro
eDllBLsz6RjwMXrNZ9I eUpgrade naar KadastraleKaart Pro
14/09/2009

Percelen
Gebruik de zoekbalk of klik op een perceel om informatie over het perceel te bekijken.