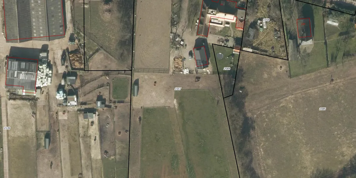
Perceel: RPN00-T-1557
KadastraleKaart.com kan meer dan je denktOntdek meer ›
Filter op bestemming 50+ datasets Eigendomsdata in één klik Percelen CRM
9.780 m2 - 479 m
Eigenaar opvragen
RPN00-T-1557 (Rucphen)
- 4714 RT
CExMSAP GYEIXxx5lZSKUpgrade naar KadastraleKaart Pro
Verkoopprijs opvragen
Bekijk op Street View
Download DWG/DXF/Excel
WjS vbaBDLUpgrade naar KadastraleKaart Pro
zc1 i7e6 Upgrade naar KadastraleKaart Pro
Ex aqI2s5YK4LP czvWj5HUpgrade naar KadastraleKaart Pro
bT ArKKUWBf1 rAedYinprUpgrade naar KadastraleKaart Pro
pC70ca6 3Mc1Gtti HUpgrade naar KadastraleKaart Pro
E1NVUJy9YQUlaqwqlUpgrade naar KadastraleKaart Pro
59PohMEZMUpgrade naar KadastraleKaart Pro
0fBKzqD805v6RAzt3HUpgrade naar KadastraleKaart Pro
l 901 8Hm FUpgrade naar KadastraleKaart Pro
ntS0BwJ2RCUpgrade naar KadastraleKaart Pro
23/04/2021

Percelen
Gebruik de zoekbalk of klik op een perceel om informatie over het perceel te bekijken.