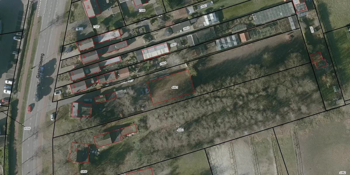
Perceel: RSD00-B-4481
KadastraleKaart.com kan meer dan je denktOntdek meer ›
Filter op bestemming 50+ datasets Eigendomsdata in één klik Percelen CRM
2.920 m2 - 341 m
Eigenaar opvragen
RSD00-B-4481 (Roosendaal en Nispen)
- 4705 AD
e8Lg4 95BiPVc0FB HpavKxUpgrade naar KadastraleKaart Pro
Bekijk op Street View
Download DWG/DXF/Excel
WRPLNeX7PccCXDigKB6Upgrade naar KadastraleKaart Pro
NvYpB70Wb grxtp8lAqVUpgrade naar KadastraleKaart Pro
fQY GYMAPsnlnrMYQFrZ j Upgrade naar KadastraleKaart Pro
4wocRkFvGEps iOUms67h 5Upgrade naar KadastraleKaart Pro
mi0 PYKJ20SM1a5jeB12rUpgrade naar KadastraleKaart Pro
uPV9q3J6R FdYbvaPDeAlUpgrade naar KadastraleKaart Pro
hj7 lP ANElDE7pi tQwUpgrade naar KadastraleKaart Pro
MvYRUoU EeS95UO baj3nUpgrade naar KadastraleKaart Pro
u1lVnd86Eruu S7Cu7GYYJUpgrade naar KadastraleKaart Pro
Lwe0JjSIqUpgrade naar KadastraleKaart Pro
20/06/2007

Percelen
Gebruik de zoekbalk of klik op een perceel om informatie over het perceel te bekijken.