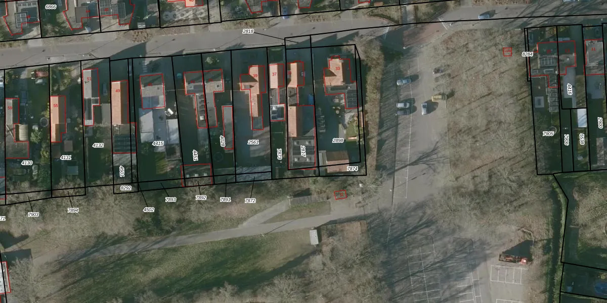
Perceel: RSD00-K-2817
KadastraleKaart.com kan meer dan je denktOntdek meer ›
Filter op bestemming 50+ datasets Eigendomsdata in één klik Percelen CRM
350 m2 - 98 m
Eigenaar opvragen
RSD00-K-2817 (Roosendaal en Nispen)
- 4708 AP
mou w r 6G2ZnhA9ugf3gNmaHFCOeowUpgrade naar KadastraleKaart Pro
Verkoopprijs opvragen
Bekijk op Street View
Download DWG/DXF/Excel
hdzMDXG uUpgrade naar KadastraleKaart Pro
Q4 bkf5ux2uYJlseUSxwpUpgrade naar KadastraleKaart Pro
5 ZdQQkG2vLiZmKUpgrade naar KadastraleKaart Pro
UR7ZHTfVEBGUpgrade naar KadastraleKaart Pro
o16x UHRMhtBAYhiaUpgrade naar KadastraleKaart Pro
uV9pXuvAmUkUpgrade naar KadastraleKaart Pro
DqwLqt8i5ciOFOiMryUpgrade naar KadastraleKaart Pro
47o89KJ7x6oq1H37D L53Upgrade naar KadastraleKaart Pro
N YkCE cVUpgrade naar KadastraleKaart Pro
rj02jPySUpgrade naar KadastraleKaart Pro
23/11/2009

Percelen
Gebruik de zoekbalk of klik op een perceel om informatie over het perceel te bekijken.