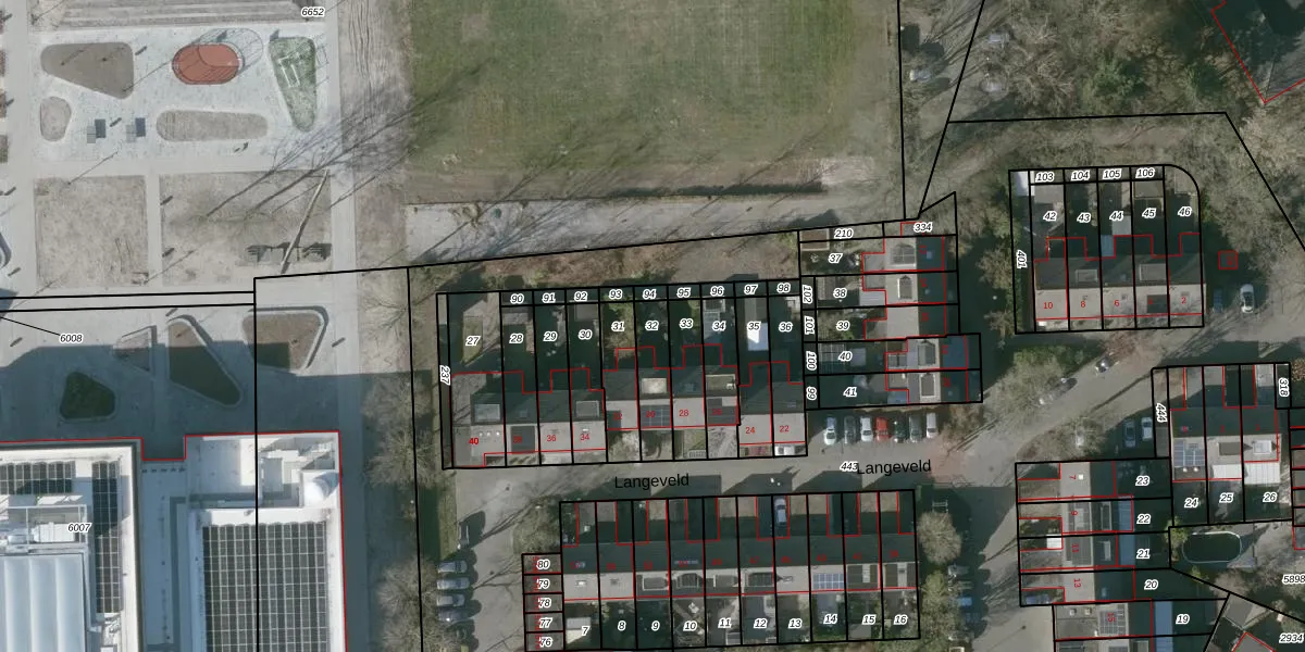
Perceel: RSD00-O-32
KadastraleKaart.com kan meer dan je denktOntdek meer ›
Filter op bestemming 50+ datasets Eigendomsdata in één klik Percelen CRM
126 m2 - 59 m
Eigenaar opvragen
RSD00-O-32 (Roosendaal en Nispen)
- 4702 XV
zJNbIDBs ChwMXD5niFaZtrHKWXmBAUpgrade naar KadastraleKaart Pro
Bekijk op Street View
Download DWG/DXF/Excel
AkksgutU1qvlLfv fPUpgrade naar KadastraleKaart Pro
fDCUZDswh7W 6AEUpgrade naar KadastraleKaart Pro
Z4Q9uD jJ7rtuXowGUpgrade naar KadastraleKaart Pro
zXusTJGnlHUpgrade naar KadastraleKaart Pro
vERoBYjNa4Nb cE 6GHUpgrade naar KadastraleKaart Pro
r j7wZ8KVUpgrade naar KadastraleKaart Pro
JOn 9iwMtbBVQccfoGcWIHiUpgrade naar KadastraleKaart Pro
ONzo gpV5oS7tzHYcacxUpgrade naar KadastraleKaart Pro
XL fiWqq K8V JnyrZMwl 7Upgrade naar KadastraleKaart Pro
xqqf3qkmMUpgrade naar KadastraleKaart Pro
14/08/2007

Percelen
Gebruik de zoekbalk of klik op een perceel om informatie over het perceel te bekijken.